March 14, 2024 - Planning Commission [Planning Commission]
Published
December 27, 2024
Notice of Comprehensive Plan Amendment Change
March 14, 2024
NOTICE OF LAND USE CHANGE
OFFICIAL ACTIONS AFFECTING OR REGULATING USE OR REAL PROPERTY IN UNICORPORATED MANATEE COUNTY – NOTICE TO REAL PROPERTY OWNERS AND GENERAL PUBLIC
The Manatee County Planning Commission will hold a public hearing to consider amendments to the Manatee County Comprehensive Plan and changes to the restrictions affecting certain lands within the unincorporated area of Manatee County with the intent to make a recommendation to the Board of Manatee County Commissioners:
Date: March 14, 2024
Time: 9:00 A.M. or soon thereafter
Place: Manatee County Government Administration Building
1st Floor Patricia M. Glass Chambers
1112 Manatee Avenue West
Bradenton, Florida
Additional amendments to the following may be necessary to implement these changes and ensure internal consistency.
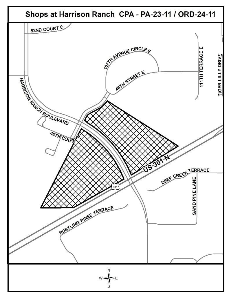
PA-23-11 / Ordinance 24-11 Shops At Harrison Ranch – Small-Scale Comprehensive Plan Map And Text Amendment- PLN2306-0118
An Ordinance of the Board of County Commissioners of Manatee County, Florida, Regarding Comprehensive Planning; providing for a Purpose and intent; providing findings; providing for a Privately-Initiated Map Amendment to the Future Land Use Map of the Future Land Use Element to designate specific real property generally located at the northwest and northeast corners of U.S. 301 North and Harrison Ranch Boulevard, at 4605 and 4606 Harrison Ranch Boulevard, Parrish, Fl (Manatee County) from the RES-3 (Residential- 3 dwelling units per gross acre) (29.13± acres) and UF-3 (Urban Fringe - 3 dwelling units per gross acre) (1.01± acres) Future Land Use classifications to the ROR (Retail/Office/Residential) (30.14± acres) Future Land Use Classification; Providing for a specific property development condition in the text of the Comprehensive Plan to limit the maximum density potential to 320 dwelling units inclusive of any density bonus provisions as voluntarily proffered by the applicant and; Providing for a specific property development condition in the text of Element 2, Future Land Use Element, Policy 2.14.1.23/D.5.23 to limit maximum non-residential intensity to 300,000 square feet as may be modified pursuant to an approved land use equivalency matrix that may allow for partial conversion to residential uses as voluntarily proffered by the applicant and; setting forth findings; providing for a legal description; providing for severability; and providing an effective date.
Americans with Disabilities: The Board of County Commissioners does not discriminate upon the basis of any individual's disability. Manatee County is committed to providing full access to facilities, programs, and services to all, as well as supporting the employment of qualified individuals with disabilities in its workforce in accordance with federal and state laws and regulations, including the Americans with Disabilities Acts of 1990 (ADA) and as amended (“ADAA”), and 503 and 504 of the Rehabilitation Act of 1973. Anyone requiring reasonable accommodation for this meeting as provided for in the Americans with Disabilities Act (ADA), or assistance with accessing any of these documents, should contact Carmine DeMilio, ADA Compliance Coordinator, at (941)792-4501 ext. 6016 or [email protected], as least 3 business days prior to the scheduled meeting. If you are deaf/hard of hearing and require the services of an interpreter, please contact the Florida Relay Service at 711.
The Public is invited to speak at this hearing, subject to proper rules of conduct. The hearing may be continued from time to time to a date and time certain. The Public may also provide written comments for the Board of County Commissioners to consider.
Rules of Procedure for this public hearing are in effect pursuant to Resolution 22-051. Copies of this Ordinance may be obtained from the Development Services Department (See address below).
Please Send Comments To: Manatee County Development Services Department
Attn: Planning Coordinator
1112 Manatee Ave West, 4th Floor, Bradenton, FL 34206
All written comments will be entered into the record.
For More Information: Copies of the proposed amendments will be available for review and copying at cost approximately seven (7) days prior to the public hearing. Information may also be obtained by calling 748-4501, Ext. 6878, between 8:00 AM and 5:00 PM.
According to Section 286.0105, Florida Statutes, if a person decides to appeal any decision made with respect to any matters considered at such meetings or hearings, he/she will need a record of the proceedings, and for such purpose, he/she may need to ensure that a verbatim record of the proceedings is made, which record would include any testimony or evidence upon which the appeal is to be based.
Date Published: March 1, 2024
Notice of Land Development Code Amendment Change
March 14, 2024
NOTICE OF PUBLIC HEARING
NOTICE OF LAND DEVELOPMENT CODE CHANGES IN UNINCORPORATED MANATEE COUNTY
The Manatee County Planning Commission will hold a public hearing to consider amendments to certain provisions of the Manatee County Land Development Code (Ordinance 15-17, as amended) and make recommendations to the Board of County Commissioners as to the consistency of the proposed Ordinances with the Comprehensive Plan and as to whether the proposed ordinances should be adopted, adopted with modifications, or denied.
Date: March 14, 2024
Time: 9:00 AM or soon thereafter as same may be heard
Place: Manatee County Government Administrative Center
1st Floor Honorable Patricia M. Glass Chambers
1112 Manatee Avenue West
LDCT-23-12/Ordinance 24-07 – County-Initiated Land Development Code Text Amendment Food Trucks PLN2306-0086
An Ordinance of the Board of County Commissioners of Manatee County, Florida, amending the Manatee County Land Development Code; providing for purpose and intent; providing findings; amending Land Development Code Chapter 2 – Definitions, Chapter 4 - Zoning, Chapter 5 – Standards for Accessory and Specific Uses and Structures, and Chapter 10 – Transportation Management to define the use of Food Trucks, to add Food Truck units as an accessory and temporary use, to add Food Truck Parks as a use in specified zoning districts, to set forth specific use criteria for Food Truck units, Food Truck Parks and applicable parking standards; providing for other amendments as may be necessary for internal consistency; providing for codification; providing for applicability; providing for severability; and providing an effective date.

All interested parties may appear and be heard at the meeting with respect to the proposed Ordinance, subject to proper rules of conduct. Additionally, any written comments filed with the Director of the Development Services Department will be heard and considered by the Planning Commission.
It is important that all parties present their concerns to the Planning Commission in as much detail as possible. The issues identified at the Planning Commission hearing will be the primary basis for the final decision by the Board of County Commissioners. Interested parties may examine the Official Zoning Atlas, Ordinances, the applications, related documents, and may obtain assistance regarding these matters from the Manatee County Development Services Department, 1112 Manatee Avenue West, 4th Floor, Bradenton, Florida, telephone number (941) 748-4501x6878; e-mail to [email protected].
The hearing may be continued from time to time to a date and time certain or to no date certain and re-advertised. The public may also provide written comments for the Planning Commission to consider.
Rules of procedure for this public hearing are in effect pursuant to Resolution 22-051. A copy of this Resolution is available for review or purchase from the Development Services Department (see address below).
Please send comments to: Manatee County Development Services Department
Attn: Planning Coordinator
1112 Manatee Ave. West 4th Floor
Bradenton, FL 34205
941-748-4501 ext. 6878
Interested parties may appear and be heard at the meeting with respect to the proposed ordinances.
Americans with Disabilities: The Board of County Commissioners does not discriminate upon the basis of any individual's disability. Manatee County is committed to providing full access to facilities, programs, and services to all, as well as supporting the employment of qualified individuals with disabilities in its workforce in accordance with federal and state laws and regulations, including the Americans with Disabilities Acts of 1990 (ADA) and as amended (“ADAA”), and 503 and 504 of the Rehabilitation Act of 1973. Anyone requiring reasonable accommodation for this meeting as provided for in the Americans with Disabilities Act (ADA), or assistance with accessing any of these documents, should contact Carmine DeMilio, ADA Compliance Coordinator, at (941)792-4501 ext. 6016 or [email protected], as least 3 business days prior to the scheduled meeting. If you are deaf/hard of hearing and require the services of an interpreter, please contact the Florida Relay Service at 711.
Interested parties may examine the proposed Ordinances and related documents and may obtain assistance regarding these matters from the Manatee County Development Services Department, 1112 Manatee Avenue West, 4th Floor, Bradenton, Florida; telephone number (941) 748-4501 EXT. 6878; e-mail to: [email protected]
According to Section 286.0105, Florida Statutes, if a person decides to appeal any decision made with respect to any matters considered at such meetings or hearings, he/she will need a record of the proceedings, and for such purpose, he/she may need to ensure that a verbatim record of the proceedings is made, which record would include any testimony or evidence upon which the appeal is to be based.
SAID HEARING MAY BE CONTINUED FROM TIME TO TIME PENDING ADJOURNMENTS.
MANATEE COUNTY PLANNING COMMISSION
Manatee County Development Services Department
Manatee County, Florida
Date Published: March 1, 2024
Notice of Zoning Changes in Unincorporated Manatee County
March 14, 2024
NOTICE OF PUBLIC HEARING
NOTICE OF ZONING CHANGES IN UNINCORPORATED MANATEE COUNTY
NOTICE IS HEREBY GIVEN, that the Planning Commission of Manatee County will conduct a Public Hearing on March 14, 2024, at 9:00 a.m. or as soon thereafter as same may be heard at the Manatee County Government Administrative Center, 1st Floor, Patricia M. Glass Chambers, 1112 Manatee Avenue West, Bradenton Florida to consider, act upon, and forward a recommendation to the Board of County Commissioners on the following matters:
PDMU-11-12(G)(R2) – Shops at Harrison Ranch/HC Properties, LLC – PLN 2306-0119
An Ordinance of the Board of County Commissioners of Manatee County, Florida, regarding land development, amending Ordinance No. PDMU-11-12(G)(R) and the General Development Plan to: (1) allow the multi-family use up to 320 units and a free-standing emergency department, and retaining the 300,000 square feet of non-residential uses previously approved; (2) establish a Land Use Equivalency Matrix for the conversion of the commercial entitlements to the multifamily use and the free standing emergency department; and, (3) approving a revised Schedule of Permitted and Prohibited Uses as voluntarily proffered by the applicant attached as Exhibit “B”, on approximately 30.14 acres located at the northwest and northeast corners of U.S. 301 North and Harrison Ranch Boulevard, at 4605 and 4606 Harrison Ranch Boulevard, Parrish (Manatee County); subject to stipulations as conditions of approval voluntarily proffered by the Applicant; setting forth findings; providing for a legal description; providing for severability; repealing ordinances in conflict; and providing an effective date.
PDO-23-31(Z)(G) – Gattuso Rezone – Gattuso, Joseph (Owner) – PLN2303-0087
An Ordinance of the Board of County Commissioners of Manatee County, Florida, regarding land development, amending the Official Zoning Atlas (Ordinance 15-17, the Manatee Land Development Code), relating to the zoning within the unincorporated area; providing for a rezone of approximately 0.88 acres generally located west of North Tamiami Trail (US 41), east of the intercoastal waterway, and approximately ¾ miles south of Tallevast Road, and commonly known as 365 Braden Avenue, Sarasota (Manatee County) from RDD-3/WR/AI (Residential Duplex District-3/Whitfield Residential/Airport Impact) to the PDO (Planned Development Office) Zoning District, retaining the Whitfield Residential and Airport Impact Overlay Districts; approving a General Development Plan that: 1) adds 5,522± square feet to the first floor and 2) a new 2,922± square foot two story addition to the existing 4,685± foot feet single story building to total a 13,130± square foot residential support facility; subject to stipulations as conditions of approval voluntarily proffered by the Applicant; setting forth findings; providing a legal description; providing for severability; and providing an effective date.
PDR-23-15(Z)(G) – Mia Bella Palmetto – 1955 Palmetto BTR LLC (Owner) – PLN2301-0064
An Ordinance of the Board of County Commissioners of Manatee County, Florida, regarding land development, amending the Official Zoning Atlas (Ordinance 15-17, as amended, the Manatee County Land Development Code), relating to zoning within the unincorporated area; providing for a rezone of approximately 9.1 acres generally located along the south side of 49th Street East and east of 16th Avenue East, and commonly known as 1955 49th St. East, Palmetto (Manatee County) from RSF-2 (Residential Single Family-2) (approximately 8.81 acres) and RSF-6 (Residential Single-Family-6) (approximately 0.29 acres) to the PDR (Planned Development Residential) Zoning District; approving a General Development Plan for thirty (30) single-family detached residential units; subject to stipulations as conditions of approval voluntarily proffered by the Applicant; setting forth findings; providing a legal description; providing for severability; and providing an effective date.
PDR-23-28(Z)(P)– Palm View-PCRAWL, LLC Rezone/Tamlake LLC. PLN2305-0124
An Ordinance of the Board of County Commissioners of Manatee County, Florida, regarding land development, amending the Official Zoning Atlas (Ordinance 15-17, as amended, the Manatee County Land Development Code), relating to zoning within the unincorporated area; providing for a rezone of approximately 20.6 acres generally located at the northwest corner of the intersection of US Highway 41 N and 16th Avenue East (a/k/a Canal Road), and commonly known as 5901 16th Ave. E., Palmetto (Manatee County) from A-1/CPA (Agricultural Suburban/Coastal Planning Area Overlay District) to PDR/CPA (Planned Development Residential) Zoning District, retaining the Coastal Planning Area Overlay District; approving a Preliminary Site Plan for a 264 multi-family attached residential unit development; subject to stipulations as conditions of approval voluntarily proffered by the Applicant; setting forth findings; providing a legal description; providing for severability; and providing an effective date.
PDR-23-36(Z)(G) – Hine Rutland Road PDR/Manatee Property LTD – Manatee Property LTD (Owner) – PLN2307-0121
An Ordinance of the Board of County Commissioners of Manatee County, Florida, regarding land development, amending the Official Zoning Atlas (Ordinance 15-17, as amended, the Manatee County Land Development Code), relating to zoning within the unincorporated area; providing for a rezone on approximately 5.00-acres, from A (General Agriculture) to the PDR (Planned Development Residential) Zoning District, generally located approximately 1.25 miles east of Highway 301, south of Rutland Road (CR 675) and east of 136th Terrace East, commonly known as 13755 CR 675, Parrish (Manatee County); approving a General Development Plan for a maximum of fifteen (15) single-family residential detached, attached, and semi-detached dwelling units; subject to stipulations as conditions of approval voluntarily proffered by the Applicant; setting forth findings; providing a legal description; providing for severability; and providing an effective date.
Z-23-12 – Saltsman Distribution Substation/Peace River Electric Cooperative Inc (Owner) – PLN2303-0159
An Ordinance of the Board of County Commissioners of Manatee County, Florida, regarding land development, amending the Official Zoning Atlas (Ordinance 15-17, as amended, the Manatee County Land Development Code), relating to zoning within the unincorporated area; providing for a rezone of approximately 5.00 acres generally located 3600± feet north of the intersection of Moccasin Wallow Rd and US 301 N on the west side of US 301 N, Parrish (Manatee County) from PD-R (Planned Development Residential) to the A-1 (Suburban Agriculture) Zoning District; providing a legal description; providing for severability, and providing an effective date.
ZL-23-28 – Jones 301 Parrish Rezone/Jones Potato Farm Inc. – Alan E. Jones (Owner) – PLN2310-0040
An Ordinance of the Board of County Commissioners of Manatee County, Florida, regarding land development, amending the Official Zoning Atlas (Ordinance 15-17, as amended, the Manatee County Land Development Code), relating to zoning within the unincorporated area; providing for a rezone of approximately 4.68 acres from A-1/PCV (Agricultural Suburban/Parrish Commercial Village Overlay) to VIL/L/PCV (Village/Limited/Parrish Commercial Village Overlay) Zoning District on the eastern portion of a 10.69-acre parcel (6.01 acres are already zoned VIL) and generally located along the east side of U.S. 301 North, south of State Road 62, and 1,050 feet north of County Road 675 (Rutland Road) commonly known as 12245 U.S. 301 North, Parrish (Manatee County); approving a Schedule of Permitted and Prohibited Uses as voluntarily proffered by the Applicant and attached as Exhibit B; subject to stipulations as conditions of approval; setting forth findings; providing a legal description; providing for severability, and providing an effective date.
All interested parties may appear and be heard at the meeting with respect to the proposed Ordinances, subject to proper rules of conduct. Additionally, any written comments filed with the Director of the Development Services Department will be heard and considered by the Planning Commission.
It is important that all parties present their concerns to the Planning Commission in as much detail as possible. The issues identified at the Planning Commission hearing will be the primary basis for the final decision by the Board of County Commissioners.
Interested parties may examine the Official Zoning Atlas, Ordinances, the applications, related documents, and may obtain assistance regarding these matters from the Manatee County Development Services Department, 1112 Manatee Avenue West, 4th Floor, Bradenton, Florida, telephone number (941) 748-4501x6878; e-mail to [email protected].
Rules of procedure for this public hearing are in effect pursuant to Resolution 22-051. A copy of this Resolution is available for review or purchase from the Development Services Department (see address below).
Please send comments to: Manatee County Development Services Department
Attn: Agenda Coordinator
1112 Manatee Ave. West 4th Floor Bradenton, FL 34205 [email protected]
According to Section 286.0105, Florida Statutes, if a person decides to appeal any decision made with respect to any matters considered at such meetings or hearings, he or she will need a record of the proceedings, and for such purpose, he or she may need to ensure that a verbatim record of the proceedings is made, which record would include any testimony or evidence upon which the appeal is to be based.
Americans with Disabilities: The Board of County Commissioners does not discriminate upon the basis of any individual's disability. Manatee County is committed to providing full access to facilities, programs, and services to all, as well as supporting the employment of qualified individuals with disabilities in its workforce in accordance with federal and state laws and regulations, including the Americans with Disabilities Acts of 1990 (ADA) and as amended (“ADAA”), and 503 and 504 of the Rehabilitation Act of 1973. Anyone requiring reasonable accommodation for this meeting as provided for in the Americans with Disabilities Act (ADA), or assistance with accessing any of these documents, should contact Carmine Demilio, ADA Compliance Coordinator, at (941)792-4501 ext. 6016 or [email protected], as least 3 business days prior to the scheduled meeting. If you are deaf/hard of hearing and require the services of an interpreter, please contact the Florida Relay Service at 711.
THIS HEARING MAY BE CONTINUED FROM TIME TO TIME PENDING ADJOURNMENTS.
MANATEE COUNTY PLANNING COMMISSION
Manatee County Development Services Department
Manatee County, Florida
Date Published: March 1, 2024
Public Notices
Interested parties may examine the proposed Ordinances, Resolutions and related documents and may obtain assistance regarding this matter from the Manatee County Development Services Department located at:
1112 Manatee Avenue West
4th Floor
Bradenton, Florida
(941) 748-4501 x6878
[email protected]
All interested parties may appear and be heard at the meeting with respect to the proposed Ordinances. According to Florida Statutes, Section 286.0105, any person desiring to appeal any decision made by the Board of County Commissioners with respect to any matter considered at said Public Hearing will need a record of the proceedings, and for such purposes, he may need to ensure that a verbatim record of the proceedings is made, which includes the testimony and evidence upon which the appeal is to be based.
Rules of procedure for Public Comment and Citizens’ Comments (including time limits) are governed by Resolution R-25-013, Restated Rules of Procedure (adopted 1/28/25).
Americans with Disabilities: The Board of County Commissioners of Manatee County, Florida, does not discriminate on the basis of an individual's disability. Manatee County is committed to providing full access to facilities, programs, and services to all, as well as supporting the employment of qualified individuals with disabilities in its workforce in accordance with federal and state laws and regulations, including the Americans with Disabilities Acts of 1990 (ADA) and as amended ("ADAA"), and 503 and 504 of the Rehabilitation Act of 1973. Anyone requiring reasonable accommodation for this meeting as provided for in the Americans with Disabilities Act (ADA), or assistance with accessing any of these documents, should contact Carmine DeMilio, ADA Compliance Coordinator, at (941) 748-4501, ext. 6016 or [email protected], at least 3 business days prior to the scheduled meeting. If you are deaf/hard of hearing and require the services of an interpreter, please contact the Florida Relay Service at 711.
THESE HEARINGS MAY BE CONTINUED FROM TIME TO TIME PENDING ADJOURNMENTS.