August 10, 2023 - Planning Commission [Planning Commission]
Published
December 28, 2024
Notice of Zoning Changes in unincorporated Manatee County
August 10, 2023
NOTICE IS HEREBY GIVEN, that the Planning Commission of Manatee County will conduct a Public Hearing on August 10, 2023, at 9:00 a.m. or as soon thereafter as same may be heard at the Manatee County Government Administrative Center, 1st Floor, Patricia M. Glass Chambers, 1112 Manatee Avenue West, Bradenton Florida to consider, act upon, and forward a recommendation to the Board of County Commissioners on the following matters:
PDC-87-01(P)(R6) SR 70 FSED AKA “Parcel 1B Ranch Lake Plaza”– Mavard Trading, Ltd. – PLN2102-0113
An Ordinance of the Board of County Commissioners of Manatee County, Florida, regarding land development, amending Ordinance No. PDC-87-01(P)(R5), for Mavard Trading, Ltd to revise the Preliminary Site Plan in order to reflect the construction of a 10,820 square foot Freestanding Emergency Department (FSED); approving a Schedule of Permitted and Prohibited Uses as voluntarily proffered by the Applicant and attached as Exhibit B; the property is approximately 1.17 acres and is generally located at the southeast corner of State Road 70 East and Ranch Lake Boulevard and is commonly known as 8500 SR 70 East, Bradenton (Manatee County); subject to stipulations as conditions of approval; setting forth findings; providing a legal description; providing for severability; and providing an effective date.
PDC-23-22(G) – Anna Maria Oyster Bar – Lobotomy Wore Off, LLC (Owner) – PLN2303-0066
An Ordinance of the Board of County Commissioners of Manatee County, Florida, regarding land development, approving a General Development Plan for an existing restaurant of approximately 8,471 square feet that includes 251 total seats and 154 parking spaces, of which 79 are located on-site (shared parking agreement with neighboring property) on approximately 2.14 acres; generally located at the southwest corner of 17th Street East and 51st Avenue East and is commonly known as 1525 51st Avenue East, Ellenton (Manatee County) subject to stipulations as conditions of approval; setting forth findings; providing a legal description; providing for severability; and providing an effective date.
PDI-23-03(Z)(P)– Project Silverado – McClure Properties Ltd.– PLN2210-0028
An Ordinance of the Board of County Commissioners of Manatee County, Florida, regarding land development, amending the Official Zoning Atlas (Ordinance 15-17, as amended, the Manatee County Land Development Code), relating to zoning within the unincorporated area; providing for a rezone of approximately 39 acres, generally located on the north side of 21st Street Court East, approximately 0.5 miles east of Canal Road, and commonly known as 2616 21st Street Court East, Palmetto (Manatee County) from A-1 (Agricultural Suburban) to the PD-I (Planned Development-Industrial) zoning district; approving a Preliminary Site Plan for a facility consisting of five (5) buildings totaling 230,250 square feet for Light Industrial/Warehouse/Office use and associated infrastructure; subject to stipulations as conditions of approval; setting forth findings; providing a legal description; providing for severability; and providing an effective date.
PDMU-21-16(G)(R) – McClure-Eisenhower – EPG Moccasin Wallow Development, LLC (Owner) – PLN2212-0051
An Ordinance of the Board of County Commissioners of Manatee County, Florida, regarding land development, amending and restating Zoning Ordinance No. PDMU-21-16(Z)(G) to revise the General Development Plan to add standards for multi-family and single-family attached development; to add a “master sign plan” for the project; to modify the LUEM (Land Use Equivalency Matrix) to allow exchange between single-family detached and single-family attached and multi-family units; for a previously approved development of 1900 dwelling units on 960.54 acres and 201,000 square feet of commercial/office uses on 28.14 acres; the 988.68 acre site is zoned PDMU (Planned Development Mixed Use), located north of Moccasin Wallow Road and south of Buckeye Road, Parrish (Manatee County); subject to stipulations as conditions of approval; setting forth findings; repealing ordinances in conflict; providing a legal description; providing for severability, and providing an effective date.
PDMU-22-19(G) – Cone Ranch GDP – William L. Cone, Jr. – (Owner) – PLN2203-0166
An Ordinance of the Board of County Commissioners of Manatee County, Florida, regarding land development, approving a new General Development Plan (Large Project) for a 2,048 residential unit (single-family detached, attached and semi-detached) and 6,550 square foot commercial project; the 1,175.8 acre site is zoned PDMU (Planned Development Mixed Use) and is generally located North of SR 62 and East of US 301 and is commonly known as 14305 Dickey Road, Parrish (Manatee County); repealing ordinances in conflict; subject to stipulations as conditions of approval; setting forth findings; providing a legal description; providing for severability; and providing an effective date.
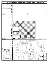
PDMU-23-06(Z)(G) – Townhomes at Westbridge – 4007 Property, LLC (Owner) – Eastwind Acquisitions, LLC (Contract Purchaser) – PLN2210-0066
An Ordinance of the Board of County Commissioners of Manatee County, Florida, regarding land development, amending the official zoning atlas (Ordinance 15-17, as amended, the Manatee County Land Development Code), relating to zoning within the unincorporated area; providing for a rezone of approximately 24.60 generally located at the northeast corner of 44th Avenue East and 45th Street East intersection from A-1 (Agricultural Suburban) to the PDMU (Planned Development-Mixed Use) zoning district; approving a General Development Plan for 220 multi-family residential units and 20,000 square feet of neighborhood commercial uses; approving a Schedule of Permitted and Prohibited Uses as voluntarily proffered by the Applicant and attached as Exhibit B; subject to stipulations as conditions of approval; setting forth findings; providing a legal description; providing for severability; and providing an effective date.
PDR-22-21(Z)(G) – Firethorn Planned Development – Goodson Family Limited Liability Limited Partnership (Owner) – Taylor Morrison of Florida, Inc (Contract Purchaser) – PLN2205-0149
An Ordinance of the Board of County Commissioners of Manatee County, Florida, regarding land development, amending the Official Zoning Atlas (Ordinance 15-17, as amended, the Manatee County Land Development Code), relating to zoning within the unincorporated area; providing for a rezone of approximately 268 acres within the north and southeast portions of a 549.2-acre site from A (General Agriculture – approximately 240 acres) and PDMU (Planned Development Mixed Use – approximately 28 acres) to the PDR (Planned Development Residential – approximately 281 acres already zoned PDR); approval of a General Development Plan (Large Project) for 1,540 residential units (single-family detached, single-family attached, single-family semi-detached and multifamily units); generally located at the northwest corner of Buckeye Road and U.S. Highway 301, west of Gettis Lee Ro2d, Parrish (Manatee County); subject to stipulations as conditions of approval; setting forth findings; providing a legal description; providing for severability; repealing ordinance PDMU/PDR-06-85(Z)(P) and providing an effective date.
PDR-22-25(P) – CNL Ellenton Erie, LLC (Owner) – Timberly Phase III – PLN2208-0108
An Ordinance of the Board of County Commissioners of Manatee County, Florida, regarding land development, approving a Preliminary Site Plan for five (5) multi-family buildings to include 217 multi-family residential units and associated infrastructure for property zoned PDR (Planned Development Residential) on approximately 13.62 acres, generally located on the south side of US 301 and west of 96th Avenue East (Foy Road), Parrish (Manatee County); subject to stipulations as conditions of approval; setting forth findings; providing a legal description; providing for severability; and providing an effective date.
PDR-23-02(Z)(P) – Oxford Landing PDR PSP/Ownbey-Beckett-Oxford-Anderson – Wayne Lamar Owenby and Frieda Mae Owenby, Geraleen M and Robert J Anderson and Geraleen M Revoc Living Trust (Owner) - Nick Gluckman (Contract Purchaser)- PLN2208-0122
An Ordinance of the Board of County Commissioners of Manatee County, Florida, regarding land development, amending the Official Zoning Atlas (Ordinance 15-17, as amended, the Manatee County Land Development Code), relating to zoning within the unincorporated area; providing for the rezoning of an approximately ±25.19 acre site, generally located one mile east of Harrison Ranch Boulevard, at the intersection of Oxford Road and US 301 North, commonly known as 11601 US 301 North, 5110 Oxford Road, and 4920 Oxford Road, Parrish, (Manatee County); from A-1 (Agriculture Suburban) (±2.2 acres) and A (General Agriculture) (±22.9 acres) to the PDR (Planned Development Residential) zoning district; approving a Preliminary Site Plan for 194 muti-family residential units; subject to stipulations as conditions of approval; setting forth findings; providing a legal description; providing for severability; and providing an effective date.
Z-23-06 – Terra Ceia Bay Land Ventures II Rezone/Terra Ceia Bay Land Ventures II LLC, (Owner) - PLN2212-0067
An Ordinance of the Board of County Commissioners of Manatee County, Florida, regarding land development, amending the Official Zoning Atlas (Ordinance 15-17, as amended, the Manatee County Land Development Code), relating to zoning within the unincorporated area; providing for a rezone of approximately five (5) acres from RSF-6 (Residential Single-Family-6 - ± 2.0 acres), A-1 (Agricultural Suburban- ± 1.10 acres) and NC-M (Neighborhood Commercial – Medium ± 2.0 acres) to the Residential Multi-Family-9 (RMF-9) zoning district; the area is located on the east side of US Highway 19, approximately a half mile north of the intersection of US 19 and US 41 commonly known as 5202 US 19 North, Palmetto (Manatee County); setting forth findings; providing a legal description; providing for severability, and providing an effective date.
Notice of Land Development Code Amendments
August 10, 2023
The Manatee County Planning Commission will hold a public hearing to consider amendments to certain provisions of the Manatee County Land Development Code (Ordinance 15-17, as amended) and make recommendations to the Board of County Commissioners as to the consistency of the proposed Ordinances with the Comprehensive Plan and as to whether the proposed ordinances should be adopted, adopted with modifications, or denied.
Date: August 10, 2023
Time: 9:00 AM or soon thereafter as same may be heard
Place: Manatee County Government Administrative Center
1st Floor Honorable Patricia M. Glass Chambers
1112 Manatee Avenue West
LDCT-23-01/Ordinance 23-04 County Initiated Land Development Code Text Amendment Subdivisions PLN2302-0031
An Ordinance of the Board of County Commissioners of Manatee County, Florida; amending the Manatee County Land Development Code; providing for purpose and intent; providing findings; amending the Land Development Code by adding the definitions of Certified Lot(s) within a shopping center, adding the definition of Parent Parcel, removing regulatory language from the definition of Subdivision, modifying the definitions of Subdivision, Subdivision Major, and Subdivision Minor, and modifying the definition of Certified Lot(s) in Chapter 2, Section 2 – Definitions; adding access by easement in minor subdivisions under limited circumstance in Chapter 3, Section 330.2.B; add adding standards for certified lot(s) within a shopping center to Chapter 3 - Review Authority and Procedures, Section 330.2. - Subdivision approval required; modifying Chapter 10, Section 1001.1B.2, Private Commercial Access, to allow access by easement for certified lots within a shopping center; providing for other amendments as may be necessary for internal consistency; providing for codification; providing for applicability; providing for severability; and providing an effective date.

Notice of Comprehensive Plan Amendment
August 10, 2023
OFFICIAL ACTIONS AFFECTING OR REGULATING USE OR REAL PROPERTY IN UNICORPORATED MANATEE COUNTY – NOTICE TO REAL PROPERTY OWNERS AND GENERAL PUBLIC
The Manatee County Planning Commission will hold a public hearing to consider amendments to the Manatee County Comprehensive Plan and changes to the restrictions affecting certain lands within the unincorporated area of Manatee County with the intent to make a recommendation to the Board of Manatee County Commissioners:
Date: August 10, 2023
Time: 9:00 A.M. or soon thereafter
Place: Manatee County Government Administration Building
1st Floor Patricia M. Glass Chambers
1112 Manatee Avenue West
Bradenton, Florida
Additional amendments to the following may be necessary to implement these changes and ensure internal consistency.
PA-22-20/ORDINANCE 23-70 (fka 22-112) Oxford Landing – SMALL SCALE COMPREHENSIVE PLAN MAP AND TEXT AMENDMENT PLN2208-0123
An Ordinance of the Board of County Commissioners of Manatee County, Florida, regarding Comprehensive Planning, amending Manatee County Ordinance No. 89-01, as amended (The Manatee County Comprehensive Plan); providing a purpose and intent; providing findings; providing for a Privately-Initiated Map and Text Amendment to Element 2 - Future Land Use of the Comprehensive Plan amending the Future Land Use Classification (FLUC) of approximately 25.19± acres of real property generally located on the south side of US 301 North, at the intersection of Oxford Road and US 301 North, commonly known as 11601 US 301 North; 5110 Oxford Road and 4920 Oxford Road, Parrish, (Manatee County) from the UF-3 (Urban Fringe-3 Dwelling Units/Acre) FLUC to the RES-9 (Residential – 9 Dwelling Units/Acre) FLUC; adding a specific property development condition in the text of Element 2 – Future Land Use of the Comprehensive Plan limiting the use of the approximately 25.19± acres of real property to residential use only; providing for severability; and providing an effective date.

PA-23-03/Ordinance 23-10 Townhomes at Westbridge Small-Scale Comprehensive Pan Map Amendment
An Ordinance of the Board of County Commissioners of Manatee County, Florida, regarding Comprehensive Planning, amending Manatee County Ordinance No. 89-01, as amended (the Manatee County Comprehensive Plan); providing a purpose and intent; providing findings; providing for a privately-initiated map amendment to the Future Land Use Map of the Future Land Use Element to designate specific real property generally located at the northeast corner of 44th Avenue East and 45th Street East, and commonly known as 4609 44th Avenue East, 4711 44th Avenue East, 4725 44th Avenue East, 4007 45th Street East and 4207 45th Street East, Bradenton, FL (Manatee County) from RES-1 (Residential – 1 dwelling unit/acre) (14.2± acres) and RES-3 (Residential – 3 dwelling units/acre) (10.4± acres) to the RES-6 (Residential – 6 dwelling units/acre) (24.6± acres) Future Land Use Classification; providing for severability and providing an effective date.

PA-23-06 / Ordinance No. 23-66 Comprehensive Plan Text Amendment Wetlands Protection PLN2302-0091
An Ordinance of the Board of County Commissioners of Manatee County, Florida, regarding comprehensive planning, amending Manatee County Ordinance No. 89-01, as amended (The Manatee County Comprehensive Plan); providing a purpose and intent; providing findings; providing for a text amendment to Comprehensive Plan Element 3 – Conservation, and Element 4 – Coastal Management, to amend the requirement for wetlands mitigation, making Manatee County Impact Mitigation consistent with state standards, and to amend wetland buffers requirements for isolated wetlands making Manatee County wetland buffer requirements for isolated wetlands consistent with state standards; providing for severability and providing an effective date.

Public Notices
Interested parties may examine the proposed Ordinances, Resolutions and related documents and may obtain assistance regarding this matter from the Manatee County Development Services Department located at:
1112 Manatee Avenue West
4th Floor
Bradenton, Florida
(941) 748-4501 x6878
[email protected]
All interested parties may appear and be heard at the meeting with respect to the proposed Ordinances. According to Florida Statutes, Section 286.0105, any person desiring to appeal any decision made by the Board of County Commissioners with respect to any matter considered at said Public Hearing will need a record of the proceedings, and for such purposes, he may need to ensure that a verbatim record of the proceedings is made, which includes the testimony and evidence upon which the appeal is to be based.
Rules of procedure for Public Comment and Citizens’ Comments (including time limits) are governed by Resolution R-25-013, Restated Rules of Procedure (adopted 1/28/25).
Americans with Disabilities: The Board of County Commissioners of Manatee County, Florida, does not discriminate on the basis of an individual's disability. Manatee County is committed to providing full access to facilities, programs, and services to all, as well as supporting the employment of qualified individuals with disabilities in its workforce in accordance with federal and state laws and regulations, including the Americans with Disabilities Acts of 1990 (ADA) and as amended ("ADAA"), and 503 and 504 of the Rehabilitation Act of 1973. Anyone requiring reasonable accommodation for this meeting as provided for in the Americans with Disabilities Act (ADA), or assistance with accessing any of these documents, should contact Carmine DeMilio, ADA Compliance Coordinator, at (941) 748-4501, ext. 6016 or [email protected], at least 3 business days prior to the scheduled meeting. If you are deaf/hard of hearing and require the services of an interpreter, please contact the Florida Relay Service at 711.
THESE HEARINGS MAY BE CONTINUED FROM TIME TO TIME PENDING ADJOURNMENTS.