September 5, 2024 - Land Use Meeting [Board of County Commissioners]
Published
December 27, 2024
Notice of Comprehensive Plan Amendment Adoption Hearing
September 05, 2024
Official Actions Will Affect and Regulate Use of Real Property in Unincorporated Manatee County – Notice to Real Property Owners and General Public.
The Manatee County Board of County Commissioners will hold a public hearing to consider the adoption of the following amendments to the Manatee County Comprehensive Plan. The amendments pertain to the unincorporated area of Manatee County. At the conclusion of the public hearing the Board of County Commissioners shall determine whether to adopt, adopt with modifications or not adopt the amendments to the Manatee County Comprehensive Plan.
Date: September 5, 2024
Time: 9:00 a.m., or soon thereafter as same may be heard
Place: Manatee County Government Administrative Center
1112 Manatee Ave. West; Patricia M. Glass Chambers (1st Floor)
Additional amendments to the following may be necessary to implement these changes and ensure internal consistency.
PA-23-13 / ORDINANCE 24-09 / BRADENTON CROSSINGS SMALL SCALE COMPREHENSIVE PLAN MAP AMENDMENT - PLN2305-0086
An Ordinance of the Board of County Commissioners of Manatee County, Florida, regarding Comprehensive Planning, amending Manatee County Ordinance No. 89-01, as amended (The Manatee County Comprehensive Plan); providing a purpose and intent; providing findings; providing for a Privately-Initiated, Small-Scale Map Amendment to the Future Land Use Map of the Future Land Use Element 2 of the Comprehensive Plan, amending the Future Land Use Category (FLUC) of approximately 35.28± Acres of specific real property generally located on the Southeast quadrant at the intersection of US Highway 41 and 13th Avenue East, commonly known as 202 13th Avenue East, Bradenton, FL (Manatee County) from P/SP (2) (Major Public/Semi-Public (2)) (34.48± Acres) and IU (Urban Industrial) (0.8± Acres) FLUC to the ROR (Retail/Office/Residential) Future Land Use Classification; providing for severability, providing for an effective date.

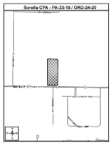
PA-23-18 / ORDINANCE 24-29 SORELLA SMALL-SCALE COMPREHENSIVE PLAN MAP AND TEXT AMENDMENT PLN2309-0100
An Ordinance of the Board of County Commissioners of Manatee County, Florida, regarding Comprehensive Planning, amending Manatee County Ordinance No. 89-01, as amended (the Manatee County Comprehensive Plan); providing a purpose and intent; providing findings; providing for a Privately-Initiated, Small-Scale Map Amendment to Element 2 - Future Land Use of the Comprehensive Plan amending the Future Land Use Category (FLUC) on approximately 5.25± acres of real property generally located approximately 1,900 feet west of the intersection of State Road 64 East and Uihlein Road in Bradenton, FL (Manatee County), from UF-3 (Urban Fringe – 3 DU/GA) to ROR (Retail/Office/Residential) Future Land Use Category; providing for a specific area policy in the text of Element 2, Future Land Use Element, Policy 2.14.1.26. / D.5.26., regardless of any established Land Use Equivalency Matrix (LUEM) or Density Bonuses, the project shall be limited to a maximum density of 3 dwelling units per acre or 9 dwelling units per acre if designating a minimum of twenty-five (25) percent of the dwelling units as “Affordable Housing” and a maximum intensity of 0.50 FAR (Floor Area Ratio). If the option for “Affordable Housing” is utilized, the applicant shall enter into a Land Use Restriction Agreement regarding the provision of affordable housing units; providing for severability and providing an effective date.

Interested parties may appear and be heard at the meeting with respect to the proposed Ordinance, subject to proper rules of conduct. The hearing may be continued from time to time to a date and time certain. The Public may also provide written comments for the Board of County Commissioners to consider.
Rules of Procedure for this public hearing are in effect pursuant to Resolution R-22-051. Copies of this Resolution may be obtained from the Development Services Department (see address below).
Please Send Comments To: Manatee County Development Services Department
Attn: Agenda Coordinator
1112 Manatee Ave. West, 4th Floor
Bradenton, FL 34206
All written comments will be entered into the record.
For More Information: Copies of the proposed amendments will be available for review and copying at cost approximately seven (7) days prior to the public hearing. Information may also be obtained by calling 748-4501, Ext. 6878, between 8:00 AM and 5:00 PM.
Americans with Disabilities: The Board of County Commissioners does not discriminate upon the basis of any individual's disability. Manatee County is committed to providing full access to facilities, programs, and services to all, as well as supporting the employment of qualified individuals with disabilities in its workforce in accordance with federal and state laws and regulations, including the Americans with Disabilities Acts of 1990 (ADA) and as amended (“ADAA”), and 503 and 504 of the Rehabilitation Act of 1973. Anyone requiring reasonable accommodation for this meeting as provided for in the Americans with Disabilities Act (ADA), or assistance with accessing any of these documents, should contact Carmine DeMilio, ADA Compliance Coordinator, at (941)792-4501 ext. 6016 or [email protected], as least 3 business days prior to the scheduled meeting. If you are deaf/hard of hearing and require the services of an interpreter, please contact the Florida Relay Service at 711.
According to Section 286.0105, Florida Statutes, if a person decides to appeal any decision made with respect to any matters considered at such meetings or hearings, he/she will need a record of the proceedings, and for such purpose, he/she may need to ensure that a verbatim record of the proceedings is made, which record would include any testimony or evidence upon which the appeal is to be based.
SAID HEARING MAY BE CONTINUED FROM TIME TO TIME PENDING ADJOURNMENTS.
MANATEE COUNTY BOARD OF COUNTY COMMISSIONERS
Manatee County Development Services Department
Manatee County, Florida
Date Published: August 22, 2024
Notice of Zoning Changes in Unincorporated Manatee County
September 05, 2024
NOTICE IS HEREBY GIVEN that the Board of County Commissioners of Manatee County will conduct a Public Hearing on September 5, 2024, at 9:00 a.m., or as soon thereafter as same may be heard at the Manatee County Government Administration Building, 1st Floor Patricia M. Glass Chambers, 1112 Manatee Avenue West, Bradenton, Florida, to consider and act upon the following matters:
PDMU-23-27(Z)(G) – BRADENTON CROSSINGS REZONE/SAGE DEVELOPMENT, LLC– JACK 95, LLC-ROSY 95, LLC- PETER 74 OAK, LLC- TCG, LLC- SCHOOLOFHARDKNOCKS, LLC (OWNERS) – PLN2305-0094
An Ordinance of the Board of County Commissioners of Manatee County, Florida, regarding land development, amending the Official Zoning Atlas (Ordinance 15-17, as amended, the Manatee County Land Development Code), relating to zoning within the unincorporated area; providing for a rezone of approximately 35.28 acres generally located at the southeast quadrant of the intersection of US 301/US 41 and 13th Ave E, and commonly known as 202 13th Avenue E, Bradenton (Manatee County) from PDPI (Planned Development Public Interest) to PDMU (Planned Development Mixed Use) Zoning District; approving a General Development Plan for 150,000 square feet to expand the existing Charter School on approximately 11 acres; 332,250 square feet of commercial/retail and office uses on approximately 4.42 acres, and a recreational vehicle park on approximately 19.86 acres with a total of 238 units; approving a Schedule of Permitted and Prohibited Uses as voluntarily proffered by the applicant and attached as Exhibit B; subject to stipulations as conditions of approval; setting forth findings; providing a legal description; providing for severability; and providing an effective date.
PDMU-23-55(Z)(G) – THE VIBE @ UMR – MOORES DAIRY FARMS INC (OWNER) – PLN2311-0105
THIS ITEM IS SCHEDULED TO BE CONTINUED TO NO DATE SET AND READVERTISED.
An Ordinance of the Board of County Commissioners of Manatee County, Florida, regarding land development, providing for a rezone of approximately 52.86 acres generally located on the east side of Upper Manatee River Road NE, approximately 1,000 feet south of 3rd Avenue NE, and 150 feet north of 2nd Avenue E, including two parcels commonly known as 115 Upper Manatee River Road NE and 11410 2nd Avenue NE, Bradenton (Manatee County) from A-1 (Agricultural Suburban) and A-1/CPA (Agricultural Suburban/Coastal Planning Area Overlay District) to PDMU (Planned Development-Mixed Use) and PDMU/CPA (Planned Development-Mixed Use/Coastal Planning Overlay District); approving a General Development Plan for up to 232 multi-family residential units and up to 100,000 square feet of low and medium intensity recreational facilities; subject to stipulations as conditions of approval; setting forth findings; providing a legal description; providing for severability; and providing an effective date.
PDR-23-33(Z)(P) – STILLWATER AT LWR – SMR NORTHEAST LLC (OWNER) – PLN2306-0515
An Ordinance of the Board of County Commissioners of Manatee County, Florida, regarding land development, amending the Official Zoning Atlas (Ordinance 15-17, as amended, the Manatee County Land Development Code), relating to zoning within the unincorporated area; providing for a rezone of approximately 87.32 acres generally located south of State Road 70 East, east of Bourneside Boulevard, and north of The Masters Avenue, and commonly known as 18490 State Road 70 East, Bradenton (Manatee County) from A (General Agricultural) to PDR (Planned Development-Residential) Zoning District; approving a Preliminary Site Plan for 105 single family detached residential units; subject to stipulations as conditions of approval; setting forth findings; providing a legal description; providing for severability; and providing an effective date.
PDW-23-38(P) – CORTEZ VILLAGE MARINA – MHC CORTEZ VILLAGE, LLC (OWNER) - PLN2307-0195
An Ordinance of the Board of County Commissioners of Manatee County, Florida, regarding land development; approving a Preliminary Site Plan for an additional twelve jet ski dry storage slips, minor boat maintenance within a building, and boat detailing area currently zoned PDW/CPA/CHH/CEA (Planned Development Waterfront/Coastal Planning Area/Coastal High Hazard Area/Coastal Evacuation Area Overlay Districts); the property is approximately 4.78 acres and generally located along the north side of Cortez Road West, east of 123rd Street West, and west of 121st Street Court West and commonly known as 12160 Cortez Road West, Cortez (Manatee County); subject to stipulations as conditions of approval; setting forth findings; providing a legal description; providing for severability; and providing an effective date.
Z-23-29 – MARKER 37 HOLDINGS, LLC REZONE – Marker 37 Holdings LLC (OWNER) – PLN2310-0093
An Ordinance of the Board of County Commissioners of Manatee County, Florida, regarding land development, amending the Official Zoning Atlas (Ordinance 15-17, as amended, the Manatee County Land Development Code), relating to zoning within the unincorporated area; providing for a rezone of two contiguous parcels with a total of approximately 4.69-acre, from GC (General Commercial) (approximately 4.34 acres) and NC-M (Neighborhood Commercial Medium) (approximately 0.35 acres), within the CPA/CEA (Coastal Planning Area/ Coastal Evacuation Area) Overlay Districts to LM (Light Manufacturing) Zoning Districts, retaining the Overlays Districts; generally located on the west side of US 41 at the junction of US 19 and US 41, commonly known as 3703 and 3715 US 19, Palmetto (Manatee County), setting forth findings; providing a legal description; providing for severability, and providing an effective date.
ZL-23-35 – 1308 WHITFIELD – 1308 WHITFIELD, LLC (OWNER) – PLN2310-0009
An Ordinance of the Board of County Commissioners of Manatee County, Florida, regarding land development, amending the Official Zoning Atlas (Ordinance 15-17, as amended, the Manatee County Land Development Code), relating to zoning within the unincorporated area; providing for a rezone of approximately 0.70 acres generally located along the south side of Whitfield Ave, approximately 650 feet west of 15th Street E, and commonly known as 1308 Whitfield Ave, Sarasota (Manatee County) from NC-S (Neighborhood Commercial - Small) to HC/L (Heavy Commercial - Limited) Zoning District; approving a Schedule of Permitted and Prohibited Uses as voluntarily proffered by the applicant attached as Exhibit B; subject to stipulations as conditions of approval; setting forth findings; providing a legal description; providing for severability; and providing an effective date.
ZL-24-02 – ATLANTIC PRO – IRON WALLS, LLC (OWNER) – PLN2312-0113
An Ordinance of the Board of County Commissioners of Manatee County, Florida, regarding land development, amending the Official Zoning Atlas (Ordinance 15-17, as amended, the Manatee County Land Development Code), relating to zoning within the unincorporated area; providing for a rezone of approximately 3.19 acres generally located at the northwest corner of 33rd Street W and US 41, commonly known as 3311 US 41 N, Palmetto (Manatee County) from NC-M/CPA/CEA (Neighborhood Commercial-Medium/Coastal Planning Area/Coastal Evacuation Area Overlay Districts) (1.8 ± acres) and RDD-4.5/CPA/CEA (Residential Duplex District-4.5/Coastal Planning Area/Coastal Evacuation Area Overlay Districts) (1.39 ± acres) to HC/L/CPA/CEA (Heavy Commercial-Limited) Zoning District, retaining the Overlay Districts; approving a Schedule of Permitted and Prohibited Uses as voluntarily proffered by the applicant attached as Exhibit B; subject to stipulations as conditions of approval; setting forth findings; providing a legal description; providing for severability; and providing an effective date.
Interested parties may examine the proposed Ordinance and related documents and may obtain assistance regarding this matter from the Manatee County Development Services Department, 1112 Manatee Avenue West, 4th Floor, Bradenton, Florida; telephone number (941) 748-4501 x6878; e-mail to: [email protected].
All interested parties may appear and be heard at the meeting with respect to the proposed Ordinances. According to Florida Statutes, Section 286.0105, any person desiring to appeal any decision made by the Board of County Commissioners with respect to any matter considered at said Public Hearing will need a record of the proceedings, and for such purposes he may need to ensure that a verbatim record of the proceedings is made, which includes the testimony and evidence upon which the appeal is to be based.
Rules of procedure for this public hearing are in effect pursuant to Resolution 22-051. A copy of this Resolution is available for review or purchase from the Development Services Department (see address below).
Please send comments to: Manatee County Development Services Department
Attn: Planning Coordinator
1112 Manatee Avenue West, 4th Floor
Bradenton, FL 34205
Americans with Disabilities: The Board of County Commissioners does not discriminate upon the basis of any individual's disability. Manatee County is committed to providing full access to facilities, programs, and services to all, as well as supporting the employment of qualified individuals with disabilities in its workforce in accordance with federal and state laws and regulations, including the Americans with Disabilities Acts of 1990 (ADA) and as amended (“ADAA”), and 503 and 504 of the Rehabilitation Act of 1973. Anyone requiring reasonable accommodation for this meeting as provided for in the Americans with Disabilities Act (ADA), or assistance with accessing any of these documents, should contact Carmine DeMilio, ADA Compliance Coordinator, at (941)792-4501 ext. 6016 or [email protected], as least 3 business days prior to the scheduled meeting. If you are deaf/hard of hearing and require the services of an interpreter, please contact the Florida Relay Service at 711.
THIS HEARING MAY BE CONTINUED FROM TIME TO TIME PENDING ADJOURNMENTS.
MANATEE COUNTY BOARD OF COUNTY COMMISSIONERS
Manatee County Development Services Department
Manatee County, Florida
Date Published: August 22, 2024
Public Notices
Interested parties may examine the proposed Ordinances, Resolutions and related documents and may obtain assistance regarding this matter from the Manatee County Development Services Department located at:
1112 Manatee Avenue West
4th Floor
Bradenton, Florida
(941) 748-4501 x6878
[email protected]
All interested parties may appear and be heard at the meeting with respect to the proposed Ordinances. According to Florida Statutes, Section 286.0105, any person desiring to appeal any decision made by the Board of County Commissioners with respect to any matter considered at said Public Hearing will need a record of the proceedings, and for such purposes, he may need to ensure that a verbatim record of the proceedings is made, which includes the testimony and evidence upon which the appeal is to be based.
Rules of procedure for Public Comment and Citizens’ Comments (including time limits) are governed by Resolution R-25-013, Restated Rules of Procedure (adopted 1/28/25).
Americans with Disabilities: The Board of County Commissioners of Manatee County, Florida, does not discriminate on the basis of an individual's disability. Manatee County is committed to providing full access to facilities, programs, and services to all, as well as supporting the employment of qualified individuals with disabilities in its workforce in accordance with federal and state laws and regulations, including the Americans with Disabilities Acts of 1990 (ADA) and as amended ("ADAA"), and 503 and 504 of the Rehabilitation Act of 1973. Anyone requiring reasonable accommodation for this meeting as provided for in the Americans with Disabilities Act (ADA), or assistance with accessing any of these documents, should contact Carmine DeMilio, ADA Compliance Coordinator, at (941) 748-4501, ext. 6016 or [email protected], at least 3 business days prior to the scheduled meeting. If you are deaf/hard of hearing and require the services of an interpreter, please contact the Florida Relay Service at 711.
THESE HEARINGS MAY BE CONTINUED FROM TIME TO TIME PENDING ADJOURNMENTS.