October 31, 2024 - Planning Commission [Planning Commission]
Published
December 27, 2024
Notice of Comprehensive Plan Amendments
October 31, 2024
OFFICIAL ACTIONS AFFECTING OR REGULATING USE OR REAL PROPERTY IN UNICORPORATED MANATEE COUNTY – NOTICE TO REAL PROPERTY OWNERS AND GENERAL PUBLIC
The Manatee County Planning Commission will hold a public hearing to consider amendments to the Manatee County Comprehensive Plan and changes to the restrictions affecting certain lands within the unincorporated area of Manatee County with the intent to make a recommendation to the Board of Manatee County Commissioners:
Date: October 31, 2024
Time: 9:00 A.M. or soon thereafter
Place: Manatee County Government Administration Building
1st Floor Patricia M. Glass Chambers
1112 Manatee Avenue West
Bradenton, Florida
Additional amendments to the following may be necessary to implement these changes and ensure internal consistency.
PA-24-06 / Ordinance No. 24-70 Public/Semi-Public (P/SP) General Clean-Up County-Initiated Large-Scale Comprehensive Plan Map Amendment PLN2405-0100
An Ordinance of the Board of County Commissioners of Manatee County, Florida, regarding Comprehensive Planning, amending Manatee County Ordinance No. 89-01, as amended (the Manatee County Comprehensive Plan); providing a purpose and intent; providing findings; providing for a County-Initiated Large-Scale Map Amendment to the Future Land Use Map of the Future Land Use Element on approximately 389.78± acres of specific real property owned by Manatee County and generally located throughout the county from R/OS (Recreation/Open Space), AG/R (Agriculture/Rural), RES-1 (Residential-1), RES-3 (Residential–3), UF-3 (Urban Fringe-3), RES-6 (Residential–6), RES-9 (Residential–9), IL (Industrial Light), ROR (Retail/Office/Residential), MU (Mixed Use), MU-C/AC-1 (Mixed Use – Activity Center Level 1) and MU-C/AC-3 (Mixed Use – Activity Center Level 3) Future Land Use Classifications to the P/SP (1) (Public/Semi-Public (1)) Future Land Use Classification; providing for severability and providing an effective date.

PA-24-06 / Ordinance No. 24-71 Public/Semi-Public (P/SP) General Clean-Up County-Initiated Large-Scale Comprehensive Plan Map Amendment PLN2405-0100
An Ordinance of the Board of County Commissioners of Manatee County, Florida, regarding Comprehensive Planning, amending Manatee County Ordinance No. 89-01, as amended (the Manatee County Comprehensive Plan); providing a purpose and intent; providing findings; providing for a County-Initiated Large-Scale Map Amendment to the Future Land Use Map of the Future Land Use Element on approximately 49.87± acres of specific real property owned by Peace River Electric Cooperative, Inc., generally located throughout the county from AG/R (Agriculture/Rural), RES-1 (Residential-1), UF-3 (Urban Fringe-3), RES-6 (Residential–6), MU-C/AC-1 (Mixed Use – Activity Center Level 1) and MU-C/AC-3 (Mixed Use – Activity Center Level 3) Future Land Use Classifications to the P/SP (1) (Public/Semi-Public (1)) Future Land Use Classification; providing for severability and providing an effective date.

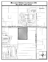
PA-24-03 / Ordinance 24-41 Moccasin Wallow Townhomes Small-Scale Comprehensive Plan Map Amendment PLN2311-0117
An Ordinance of the Board of County Commissioners of Manatee County, Florida, regarding Comprehensive Planning, amending Manatee County Ordinance No. 89-01, as amended (the Manatee County Comprehensive Plan); providing a purpose and intent; providing findings; providing for a Privately-Initiated, Small-Scale Map Amendment to the Future Land Use Map of the Future Land Use Element on approximately 12.68± acres of specific real property generally located 660 feet west of the intersection of Moccasin Wallow Road (97th Street East) and Ellenton Gillette Road (CR 683), and commonly known as 3105 Moccasin Wallow Road, Palmetto, FL (Manatee County), from RES-6 (Residential–6) to the RES-9 (Residential–9) Future Land Use Classification; providing for severability and providing an effective date.

PA-23-22 / Ordinance 24-13 Bus Barn Northeast Quadrant Small-Scale Comprehensive Plan Map And Text Amendment PLN2309-0165
An Ordinance of the Board of County Commissioners of Manatee County, Florida, regarding Comprehensive Planning, amending Manatee County Ordinance No. 89-01, as amended (The Manatee County Comprehensive Plan); providing a purpose and intent; providing findings; providing for a Privately-Initiated Map and Text Amendment to Element 2 - Future Land Use of the Comprehensive Plan amending Policy 2.14.1.6. / D.5.6 (established per Ordinance 09-12 / PA-09-06) to remove 23.37± acres from the Northeast Quadrant and to reduce the single-family detached entitlements from 9,665 to 9,640 units, and the single-family attached entitlements from 2,900 to 2,874 units, for a total reduction of 51 units; providing for severability and providing an effective date.

PA-23-17 / Ordinance 24-14 Bus Barn - Small-Scale Comprehensive Plan Map Amendment PLN2308-0161
An Ordinance of the Board of County Commissioners of Manatee County, Florida, regarding Comprehensive Planning, amending Manatee County Ordinance No. 89-01, as amended (The Manatee County Comprehensive Plan); providing a purpose and intent; providing findings; providing for a Privately-Initiated, Small-Scale Map Amendment to the Future Land Use Map of the Future Land Use Element on approximately 43.71± acres of specific real property generally located approximately 1,700 feet northwest of the intersection of State Road 64 East (Manatee Avenue East) and Uihlein Road from MU-C/R (Mixed Use – Community/Residential) (23.37± acres), RES-1 (Residential – 1 DU/GA) (5.59± acres), and P/SP (1) (Public/Semi-Public (1)) (14.75± acres) to the UF-3 (Urban Fringe – 3 DU/GA) Future Land Use Classification; providing for severability and providing an effective date.

Interested parties may appear and be heard at the meeting with respect to the proposed Ordinance, subject to proper rules of conduct. The hearing may be continued from time to time to a date and time certain. The Public may also provide written comments for the Board of County Commissioners to consider.
Rules of Procedure for this public hearing are in effect pursuant to Resolution R-22-051. Copies of this Resolution may be obtained from the Development Services Department (see address below).
Please Send Comments To: Manatee County Development Services Department
Attn: Agenda Coordinator
1112 Manatee Ave. West, 4th Floor
Bradenton, FL 34206
All written comments will be entered into the record.
For More Information: Copies of the proposed amendments will be available for review and copying at cost approximately seven (7) days prior to the public hearing. Information may also be obtained by calling 748-4501, Ext. 6878, between 8:00 AM and 5:00 PM.
Americans with Disabilities: The Board of County Commissioners does not discriminate upon the basis of any individual's disability. Manatee County is committed to providing full access to facilities, programs, and services to all, as well as supporting the employment of qualified individuals with disabilities in its workforce in accordance with federal and state laws and regulations, including the Americans with Disabilities Acts of 1990 (ADA) and as amended (“ADAA”), and 503 and 504 of the Rehabilitation Act of 1973. Anyone requiring reasonable accommodation for this meeting as provided for in the Americans with Disabilities Act (ADA), or assistance with accessing any of these documents, should contact Carmine DeMilio, ADA Compliance Coordinator, at (941)792-4501 ext. 6016 or [email protected], as least 3 business days prior to the scheduled meeting. If you are deaf/hard of hearing and require the services of an interpreter, please contact the Florida Relay Service at 711.
According to Section 286.0105, Florida Statutes, if a person decides to appeal any decision made with respect to any matters considered at such meetings or hearings, he/she will need a record of the proceedings, and for such purpose, he/she may need to ensure that a verbatim record of the proceedings is made, which record would include any testimony or evidence upon which the appeal is to be based.
SAID HEARING MAY BE CONTINUED FROM TIME TO TIME PENDING ADJOURNMENTS.
MANATEE COUNTY BOARD OF COUNTY COMMISSIONERS
Manatee County Development Services Department
Manatee County, Florida
Date Published: October 17, 2024
Notice of Land Development Code Changes in Unincorporated Manatee County
October 31, 2024
NOTICE OF LAND DEVELOPMENT CODE CHANGES IN UNINCORPORATED MANATEE COUNTY
The Manatee County Planning Commission will hold a public hearing to consider amendments to certain provisions of the Manatee County Land Development Code (Ordinance 15-17, as amended) and make recommendations to the Board of County Commissioners as to the consistency of the proposed Ordinances with the Comprehensive Plan and as to whether the proposed ordinances should be adopted, adopted with modifications, or denied.
Date: October 31, 2024
Time: 9:00 AM or soon thereafter as same may be heard
Place: Manatee County Government Administrative Center
1st Floor Honorable Patricia M. Glass Chambers
1112 Manatee Avenue West
LDCT-24-03 / Ordinance 24-64 County-Initiated Land Development Code Text Amendment Chapter 7 General Clean-Up PLN2404-0105
An Ordinance of the Board of County Commissioners Manatee County, Florida, amending the Manatee County Land Development Code; providing for purpose and intent; providing findings; Chapter 7, Environmental and Cultural Resource Protection, Section 701, Landscaping and Screening Standards, updating references, addressing scrivener’s errors, and providing clarification on standards throughout; revising Figure 7-2: Roadway Options per 100 Feet, reflecting corrected terminology for typical roadway buffers and clarifying the buffer width standard; Section 701.7., Redevelopment Standards, providing administrative authority for modifications to Landscaping/Screening standards under limited circumstances; Section 701.8., Specifications, providing clarification in the placement of Fences/Walls within Landscape Buffers; Sections 701.8, 701.9, 701.10, and 701.12, providing for “Designee” approval; Section 701.13., Certification Required, Providing Clarity On The Issuance Of Certificates Of Occupancy; providing for other amendments as may be necessary for internal consistency; providing for codification; providing for applicability; providing for severability; and providing an effective date.

All interested parties may appear and be heard at the meeting with respect to the proposed Ordinance, subject to proper rules of conduct. Additionally, any written comments filed with the Director of the Development Services Department will be heard and considered by the Planning Commission.
It is important that all parties present their concerns to the Planning Commission in as much detail as possible. The issues identified at the Planning Commission hearing will be the primary basis for the final decision by the Board of County Commissioners. Interested parties may examine the Official Zoning Atlas, Ordinances, the applications, related documents, and may obtain assistance regarding these matters from the Manatee County Development Services Department, 1112 Manatee Avenue West, 4th Floor, Bradenton, Florida, telephone number (941) 748-4501x6878; e-mail to [email protected].
The hearing may be continued from time to time to a date and time certain or to no date certain and re-advertised. The public may also provide written comments for the Planning Commission to consider.
Rules of procedure for this public hearing are in effect pursuant to Resolution 22-051. A copy of this Resolution is available for review or purchase from the Development Services Department (see address below).
Please send comments to: Manatee County Development Services Department
Attn: Planning Coordinator
1112 Manatee Ave. West 4th Floor
Bradenton, FL 34205
941-748-4501 ext. 6878
Interested parties may appear and be heard at the meeting with respect to the proposed ordinances.
Americans with Disabilities: The Board of County Commissioners does not discriminate upon the basis of any individual's disability. Manatee County is committed to providing full access to facilities, programs, and services to all, as well as supporting the employment of qualified individuals with disabilities in its workforce in accordance with federal and state laws and regulations, including the Americans with Disabilities Acts of 1990 (ADA) and as amended (“ADAA”), and 503 and 504 of the Rehabilitation Act of 1973. Anyone requiring reasonable accommodation for this meeting as provided for in the Americans with Disabilities Act (ADA), or assistance with accessing any of these documents, should contact Carmine DeMilio, ADA Compliance Coordinator, at (941)792-4501 ext. 6016 or [email protected], as least 3 business days prior to the scheduled meeting. If you are deaf/hard of hearing and require the services of an interpreter, please contact the Florida Relay Service at 711.
Interested parties may examine the proposed Ordinances and related documents and may obtain assistance regarding these matters from the Manatee County Development Services Department, 1112 Manatee Avenue West, 4th Floor, Bradenton, Florida; telephone number (941) 748-4501 EXT. 6878; e-mail to: [email protected]
According to Section 286.0105, Florida Statutes, if a person decides to appeal any decision made with respect to any matters considered at such meetings or hearings, he/she will need a record of the proceedings, and for such purpose, he/she may need to ensure that a verbatim record of the proceedings is made, which record would include any testimony or evidence upon which the appeal is to be based.
SAID HEARING MAY BE CONTINUED FROM TIME TO TIME PENDING ADJOURNMENTS.
MANATEE COUNTY PLANNING COMMISSION
Manatee County Development Services Department
Manatee County, Florida
Date Published: October 17, 2024
Notice of Zoning Changes in Unincorporated Manatee County
October 31, 2024
NOTICE IS HEREBY GIVEN that the Planning Commission of Manatee County will conduct a Public Hearing on October 31, 2024, at 9:00 a.m., or as soon thereafter as same may be heard at the Manatee County Government Administration Building, 1st Floor Patricia M. Glass Chambers, 1112 Manatee Avenue West, Bradenton, Florida, to consider, act upon, and forward a recommendation to the Board of County Commissioners on the following matters:
Ordinance No. 24-85 - University Commons - DRI #19 - PLN2404-0186
An Ordinance of the Board of County Commissioners of Manatee County, Florida, rendering an amended and restated Development Order pursuant to Chapter 380.06, Florida Statutes, for the University Commons Development of Regional Impact Development Order (Ordinance No. 08-57); A/K/A TPRPC DRI #190; to approve the following changes to the Development Order: 1) Update the phasing and buildout dates; 2) denote stipulations that have been complied with or requirements that have been completed; 3) modify certain conditions consistent with current departmental practices and other amendments for internal consistency, obligations; codifying and restating the existing Development Order for DRI #19; providing for severability; and providing for an effective date.
The University Commons DRI is located north of University Parkway, northeast and northwest intersections Tuttle Avenue and extends west to Lockwood Ridge Road (approximately 286.50 acres).
Z-89-46(G)(R12) – University Commons GDP Modification – PLN2404-0197
An Ordinance of the Board of County Commissioners of Manatee County, Florida, regarding land development, amending and restating Ordinance Z-89-46(G)(R11) to approve changes to the General Development Plan for approximately 286.50 acres as follows:1) Update the phasing and buildout dates for Phases I and II; 2) denote stipulations that have been complied with or requirements that have been completed; and 3) Modify certain conditions consistent with current departmental practices and other amendments for internal consistency and obligations; subject to stipulations as conditions of approval; setting forth findings; providing a legal description; providing for severability, and providing an effective date.
The University Commons DRI is generally located north of University Parkway and extends from Tuttle Avenue to Lockwood Ridge Road in Sarasota (Manatee County).
PDC-23-58(P) – McDonald's Bradenton – Fifteen 6228 LLC (Owner) – PLN2312-0126
An Ordinance of the Board of County Commissioners of Manatee County, Florida, regarding land development, approving a Preliminary Site Plan for a 3,859 square foot restaurant with drive-through on one (1) parcel, approximately 1.55 acres, zoned PDC/AI/CPA (Planned Development Commercial/Airport Impact/Coastal Planning Area); generally located at the northwest corner of 63rd Avenue East and 15th Street East, commonly known as 6228 15th Street East, Bradenton (Manatee County); subject to stipulations as conditions of approval; setting forth findings; providing a legal description; providing for severability, and providing an effective date.
PDMU-21-16(G)(R2) – McClure Eisenhower GDP Amendment - EPG Moccasin Wallow Development, LLC (Owner) – PLN2312-0028
An Ordinance of the Board of County Commissioners of Manatee County, Florida, regarding land development, amending Zoning Ordinance No. PDMU-21-16(G)(R) and the General Development Plan to: (1) Remove Parcel 2 from the project area, reducing the project acreage from 988.68 to 965.92 acres and revising the residential and commercial acreage; (2) Increase total residential entitlement from 1,900 to 2,150 dwelling units; and decrease the commercial entitlement from 201,000 sq. ft; to up to 130,000 sq. ft.; (3) Identify commercial Parcel 4 (14.61 acres) (4) Reserve approximately 1.3 acres for a proposed EMS/Fire Services Facility; (5) Modify the LUEM to allow exchange between office and mini warehouse, single-family detached, single-family attached and multi-family units; (6) Revise wetland information to reflect the approved jurisdictional determination and show proposed impacts; the site is on 965.92 acres, zoned PDMU (Planned Development Mixed Use), and located north of Moccasin Wallow Road and south of Buckeye Road, Parrish (Manatee County); subject to stipulations as conditions of approval; setting forth findings; repealing ordinances in conflict; providing a legal description; providing for severability, and providing an effective date.
PDMU-23-56(Z)(G) –Sawgrass Ridge – McClure Properties Ltd. (Owner) / KC Sawgrass LLC (Contract Purchaser) – PLN2311-0094
An Ordinance of the Board of County Commissioners of Manatee County, Florida, regarding land development, amending the Official Zoning Atlas (Ordinance 15-17), as amended, the Manatee County Land Development Code, relating to zoning within the unincorporated area; providing for a rezone of approximately 142.88 acres from A (General Agriculture – approximately 47 acres) and PDR (Planned Development Residential – approximately 75 acres) to the PDMU (Planned Development-Mixed Use – approximately 20 acres already zoned PDMU) Zoning District; generally located north of Moccasin Wallow Road, south of Buckeye Road, and approximately 3,600 feet east of Carter Road, and commonly known as 9400 Moccasin Wallow Road, Palmetto (Manatee County); approving a General Development Plan (Large Project) for a mixed- use project with up to 1,112 residential units (single-family detached and multifamily) with at least twenty five percent (25%) of the units designated as affordable housing and up to 250,000 square feet of commercial uses; approving a Schedule of Permitted and Prohibited Uses as voluntarily proffered by the Applicant and attached as Exhibit B; subject to stipulations as conditions of approval; setting forth findings; providing a legal description; providing for severability, and providing an effective date.
PDR-23-44(Z)(P) – Moccasin Wallow Townhomes Rezone – Corner Properties of St Pete Inc (Owner) – PLN2402-0119
An Ordinance of the Board of County Commissioners of Manatee County, Florida, regarding land development, amending the Official Zoning Atlas (Ordinance 15-17, as amended, the Manatee County Land Development Code), relating to zoning within the unincorporated area; providing for a rezone of approximately 12.68 acres generally located on the south side of Moccasin Wallow Road, approximately 0.5 miles west of US Highway 41, and approximately 700 feet east of 36th Avenue E (County Road 683), and commonly known as 3105 Moccasin Wallow Road, Palmetto (Manatee County) from A-1 (Agricultural Suburban) to PDR (Planned Development-Residential) Zoning District; approving a Preliminary Site Plan for 68 single-family attached residential units (townhomes); subject to stipulations as conditions of approval; setting forth findings; providing a legal description; providing for severability; and providing an effective date.
Z-24-03 – Invest PI, LLC Rezone – Invest PI LLC (Owner) – PLN2401-0209
An Ordinance of the Board of County Commissioners of Manatee County, Florida, regarding land development, amending the Official Zoning Atlas (Ordinance 15-17, as amended, the Manatee County Land Development Code), relating to zoning within the unincorporated area; providing for a rezone for the northern approximately 4.15 acre portion of a larger parcel, from RSF-6 (Residential Single Family - 6) to the RMF-6 (Residential Multi-Family - 6) Zoning District; generally located northeast of the intersection of State Road 70 (53rd Avenue East) and 16th Street E extending north to 51st Avenue East, without an assigned address number, Bradenton (Manatee County); setting forth findings; providing a legal description; providing for severability, and providing an effective date.
ZL-24-07 – Gulf Current Electric LLC – Gulf Current Electric LLC (Owner) – PLN2403-0191
An Ordinance of the Board of County Commissioners of Manatee County, Florida, regarding land development, amending the Official Zoning Atlas (Ordinance 15-17, as amended, the Manatee County Land Development Code), relating to zoning within the unincorporated area, providing for a rezone of approximately 0.26 acres generally located on the southwest corner of 39th Street East and 9th Avenue West, and commonly known as 908 39th Street West, Bradenton (Manatee County) from RSF-4.5 (Residential Single Family-4.5) to NC-M/L (Neighborhood Commercial-Medium/Limited) Zoning District; approving a Schedule of Permitted and Prohibited Uses as voluntarily proffered by the applicant and attached as Exhibit B; subject to stipulations as conditions of approval; setting forth findings; providing a legal description; providing for severability; and providing an effective date.
All interested parties may appear and be heard at the meeting with respect to the proposed Ordinances, subject to proper rules of conduct. Additionally, any written comments filed with the Director of the Development Services Department will be heard and considered by the Planning Commission.
It is important that all parties present their concerns to the Planning Commission in as much detail as possible. The issues identified at the Planning Commission hearing will be the primary basis for the final decision by the Board of County Commissioners.
Interested parties may examine the Official Zoning Atlas, Ordinances, the applications, related documents, and may obtain assistance regarding these matters from the Manatee County Development Services Department, 1112 Manatee Avenue West, 4th Floor, Bradenton, Florida, telephone number (941) 748-4501x6878; e-mail to .
Rules of procedure for this public hearing are in effect pursuant to Resolution 22-051. A copy of this Resolution is available for review or purchase from the Development Services Department (see address below).
Please send comments to: Manatee County Development Services Department
Attn: Agenda Coordinator
1112 Manatee Ave. West 4th Floor Bradenton, FL 34205 [email protected]
According to Section 286.0105, Florida Statutes, if a person decides to appeal any decision made with respect to any matters considered at such meetings or hearings, he or she will need a record of the proceedings, and for such purpose, he or she may need to ensure that a verbatim record of the proceedings is made, which record would include any testimony or evidence upon which the appeal is to be based.
Americans with Disabilities: The Board of County Commissioners does not discriminate upon the basis of any individual's disability. Manatee County is committed to providing full access to facilities, programs, and services to all, as well as supporting the employment of qualified individuals with disabilities in its workforce in accordance with federal and state laws and regulations, including the Americans with Disabilities Acts of 1990 (ADA) and as amended (“ADAA”), and 503 and 504 of the Rehabilitation Act of 1973. Anyone requiring reasonable accommodation for this meeting as provided for in the Americans with Disabilities Act (ADA), or assistance with accessing any of these documents, should contact Carmine Demilio, ADA Compliance Coordinator, at (941)792-4501 ext. 6016 or [email protected], as least 3 business days prior to the scheduled meeting. If you are deaf/hard of hearing and require the services of an interpreter, please contact the Florida Relay Service at 711.
THIS HEARING MAY BE CONTINUED FROM TIME TO TIME PENDING ADJOURNMENTS.
MANATEE COUNTY PLANNING COMMISSION
Manatee County Development Services Department
Manatee County, Florida
Date Published: October 17, 2024
Public Notices
Interested parties may examine the proposed Ordinances, Resolutions and related documents and may obtain assistance regarding this matter from the Manatee County Development Services Department located at:
1112 Manatee Avenue West
4th Floor
Bradenton, Florida
(941) 748-4501 x6878
[email protected]
All interested parties may appear and be heard at the meeting with respect to the proposed Ordinances. According to Florida Statutes, Section 286.0105, any person desiring to appeal any decision made by the Board of County Commissioners with respect to any matter considered at said Public Hearing will need a record of the proceedings, and for such purposes, he may need to ensure that a verbatim record of the proceedings is made, which includes the testimony and evidence upon which the appeal is to be based.
Rules of procedure for Public Comment and Citizens’ Comments (including time limits) are governed by Resolution R-25-013, Restated Rules of Procedure (adopted 1/28/25).
Americans with Disabilities: The Board of County Commissioners of Manatee County, Florida, does not discriminate on the basis of an individual's disability. Manatee County is committed to providing full access to facilities, programs, and services to all, as well as supporting the employment of qualified individuals with disabilities in its workforce in accordance with federal and state laws and regulations, including the Americans with Disabilities Acts of 1990 (ADA) and as amended ("ADAA"), and 503 and 504 of the Rehabilitation Act of 1973. Anyone requiring reasonable accommodation for this meeting as provided for in the Americans with Disabilities Act (ADA), or assistance with accessing any of these documents, should contact Carmine DeMilio, ADA Compliance Coordinator, at (941) 748-4501, ext. 6016 or [email protected], at least 3 business days prior to the scheduled meeting. If you are deaf/hard of hearing and require the services of an interpreter, please contact the Florida Relay Service at 711.
THESE HEARINGS MAY BE CONTINUED FROM TIME TO TIME PENDING ADJOURNMENTS.