October 17, 2024 - Land Use Meeting [Board of County Commissioners]
Published
December 27, 2024
Notice of Zoning Changes in Unincorporated Manatee County
October 17, 2024
NOTICE OF PUBLIC HEARING
NOTICE OF ZONING CHANGES IN UNINCORPORATED MANATEE COUNTY
NOTICE IS HEREBY GIVEN that the Board of County Commissioners of Manatee County will conduct a Public Hearing on October 17, 2024, at 9:00 a.m., or as soon thereafter as same may be heard at the Manatee County Government Administration Building, 1st Floor Patricia M. Glass Chambers, 1112 Manatee Avenue West, Bradenton, Florida, to consider and act upon the following matters:
Ordinance No. 24-85 - University Commons - DRI #19 - PLN2404-0186
An Ordinance of the Board of County Commissioners of Manatee County, Florida, rendering an amended and restated Development Order pursuant to Chapter 380.06, Florida Statutes, for the University Commons Development of Regional Impact Development Order (Ordinance No. 08-57); A/K/A TPRPC DRI #190; to approve the following changes to the Development Order: 1) Update the phasing and buildout dates; 2) denote stipulations that have been complied with or requirements that have been completed; 3) modify certain conditions consistent with current departmental practices and other amendments for internal consistency, obligations; codifying and restating the existing Development Order for DRI #19; providing for severability; and providing for an effective date.
The University Commons DRI is located north of University Parkway, northeast and northwest intersections Tuttle Avenue and extends west to Lockwood Ridge Road (approximately 286.50 acres).
Z-89-46(G)(R12) – University Commons GDP Modification – PLN2404-0197
An Ordinance of the Board of County Commissioners of Manatee County, Florida, regarding land development, amending and restating Ordinance Z-89-46(G)(R11) to approve changes to the General Development Plan for approximately 286.50 acres as follows: 1) Update the phasing and buildout dates for Phases I and II; 2) denote stipulations that have been complied with or requirements that have been completed; and 3) Modify certain conditions consistent with current departmental practices and other amendments for internal consistency and obligations; subject to stipulations as conditions of approval; setting forth findings; providing a legal description; providing for severability, and providing an effective date.
The University Commons DRI is generally located north of University Parkway and extends from Tuttle Avenue to Lockwood Ridge Road in Sarasota (Manatee County).
PDMU-21-16(G)(R2) – McClure Eisenhower GDP Amendment - EPG Moccasin Wallow Development, LLC (Owner) – PLN2312-0028
An Ordinance of the Board of County Commissioners of Manatee County, Florida, regarding land development, amending Zoning Ordinance No. PDMU-21-16(G)(R) and the General Development Plan to: (1) Remove Parcel 2 from the project area, reducing the project acreage from 988.68 to 965.92 acres and revising the residential and commercial acreage; (2) Increase total residential entitlement from 1,900 to 2,150 dwelling units; and decrease the commercial entitlement from 201,000 sq. ft; to up to 130,000 sq. ft.; (3) Identify commercial Parcel 4 (14.61 acres) (4) Reserve approximately 1.3 acres for a proposed EMS8Fire Services Facility (5) Modify the LUEM to allow exchange between office and mini warehouse, single-family detached, single-family attached and multi-family units; (6) Revise wetland information to reflect the approved jurisdictional determination and show proposed impacts; the acre site is 965.92 acres, zoned PDMU (Planned Development Mixed Use), and located north of Moccasin Wallow Road and south of Buckeye Road, Parrish (Manatee County); subject to stipulations as conditions of approval; setting forth findings; repealing ordinances in conflict; providing a legal description; providing for severability, and providing an effective date.
PDMU-23-49(Z)(G) – Penler Rezone – William Curtis Langford and Roberta Lee Langford, and Sher-Rock-Rand Ranch (Owners) – Brian Metzler (Contract Purchaser) - PLN2309-0144
An Ordinance of the Board of County Commissioners of Manatee County, Florida, regarding land development, amending the Official Zoning Atlas (Ordinance 15-17, as amended, the Manatee County Land Development Code), relating to zoning within the unincorporated area; providing for a rezone of two parcels totaling 20.19± acres generally located on the south side of State Road 64 East, approximately 0.3 miles east of 117 Street E and 0.27 miles west of Pope Road, and commonly known as 12108 and 12310 State Road 64 East, Bradenton (Manatee County) from A (General Agriculture) to PDMU (Planned Development Mixed-Use) Zoning District; approving a General Development Plan for 300 multifamily residential units and 50,000 square feet of commercial uses; and approving a Schedule of Permitted and Prohibited uses as voluntarily proffered by the applicant attached as Exhibit “B”; subject to stipulations as conditions of approval; setting forth findings; providing a legal description; providing for severability; and providing an effective date.
PDMU-23-56(Z)(G) –Sawgrass Ridge – McClure Properties, Ltd. (Owner) / KC Sawgrass LLC (Contract Purchaser) – PLN2311-0094
An Ordinance of the Board of County Commissioners of Manatee County, Florida, regarding land development, amending the Official Zoning Atlas (Ordinance 15-17), as amended, the Manatee County Land Development Code, relating to zoning within the unincorporated area; providing for a rezone of approximately 142.88 acres from A (General Agriculture – approximately 47 acres), PDR (Planned Development Residential – approximately 75 acres), to the PDMU (Planned Development-Mixed Use – approximately 20 acres already zoned PDMU); generally located north of Moccasin Wallow Road, south of Buckeye Road, and approximately 3,600 feet east of Carter Road, and commonly known as 9400 Moccasin Wallow Road, Palmetto (Manatee County); approving a General Development Plan (Large Project) for a mixed-use project with up to 1,112 residential units (single-family detached and multifamily) with at least twenty five percent (25%) of the units designated as affordable housing and up to 250,000 square feet of commercial uses; approving a Schedule of Permitted and Prohibited Uses as voluntarily proffered by the Applicant and attached as Exhibit B; subject to stipulations as conditions of approval; setting forth findings; providing a legal description; providing for severability, and providing an effective date.
Z-24-08 - Emerson Point Preserve Expansion (County Owned Property) County-Initiated Rezone Manatee Count (Owner) - PLN2404-0096
This item is to be continued to no date set and to be readvertised at a later date.
An Ordinance of The Board of County Commissioners of Manatee County, Florida, regarding land development, amending the Official Zoning Atlas (Ordinance 15-17, as amended, the Manatee County Land Development Code), relating to zoning within the unincorporated area; providing for a rezone of approximately 92.548 acres from A-1/CEA/CHHA/CPA (Agricultural Suburban) and RSF-1/CEA/CHHA/CPA (Residential Single-Family) to the CON/CEA/CHHA/CPA (Conservation) Zoning District, retaining the CEA (Costal Evacuation Area), CHHA (Coastal High Hazard Area) and CPA (Coastal Planning Area) Overlay Districts, where applicable; the area subject to rezone is located at 5200 17th Street West and being located adjacent and East of the existing Emerson Point Preserve (Manatee County); setting forth findings; providing a legal description; providing for severability, and providing an effective date.
Interested parties may examine the proposed Ordinance and related documents and may obtain assistance regarding this matter from the Manatee County Development Services Department, 1112 Manatee Avenue West, 4th Floor, Bradenton, Florida; telephone number (941) 748-4501 x6878; e-mail to: [email protected].
All interested parties may appear and be heard at the meeting with respect to the proposed Ordinances. According to Florida Statutes, Section 286.0105, any person desiring to appeal any decision made by the Board of County Commissioners with respect to any matter considered at said Public Hearing will need a record of the proceedings, and for such purposes he may need to ensure that a verbatim record of the proceedings is made, which includes the testimony and evidence upon which the appeal is to be based.
Rules of procedure for this public hearing are in effect pursuant to Resolution 22-051. A copy of this Resolution is available for review or purchase from the Development Services Department (see address below).
Please send comments to: Manatee County Development Services Department
Attn: Planning Coordinator
1112 Manatee Avenue West, 4th Floor
Bradenton, FL 34205
Americans with Disabilities: The Board of County Commissioners does not discriminate upon the basis of any individual's disability. Manatee County is committed to providing full access to facilities, programs, and services to all, as well as supporting the employment of qualified individuals with disabilities in its workforce in accordance with federal and state laws and regulations, including the Americans with Disabilities Acts of 1990 (ADA) and as amended (“ADAA”), and 503 and 504 of the Rehabilitation Act of 1973. Anyone requiring reasonable accommodation for this meeting as provided for in the Americans with Disabilities Act (ADA), or assistance with accessing any of these documents, should contact Carmine DeMilio, ADA Compliance Coordinator, at (941)792-4501 ext. 6016 or [email protected], as least 3 business days prior to the scheduled meeting. If you are deaf/hard of hearing and require the services of an interpreter, please contact the Florida Relay Service at 711.
THIS HEARING MAY BE CONTINUED FROM TIME TO TIME PENDING ADJOURNMENTS.
MANATEE COUNTY BOARD OF COUNTY COMMISSIONERS
Manatee County Development Services Department
Manatee County, Florida
Date Published: October 3, 2024
Notice of Comprehensive Plan Amendment Change - Transmittal
October 17, 2024
NOTICE OF LAND USE CHANGE
Official Actions Will Affect and Regulate Use of Real Property in Unincorporated Manatee County – Notice to Real Property Owners and General Public.
The Manatee County Board of County Commissioners will hold a public hearing to consider the adoption of the following amendments to the Manatee County Comprehensive Plan. The amendments pertain to the unincorporated area of Manatee County. At the conclusion of the public hearing the Board of County Commissioners shall determine whether to transmit, transmit with modifications or not transmit the amendments to the Manatee County Comprehensive Plan.
Date: October 17, 2024
Time: 9:00 a.m., or soon thereafter as same may be heard
Additional amendments to the following may be necessary to implement these changes and ensure internal consistency.
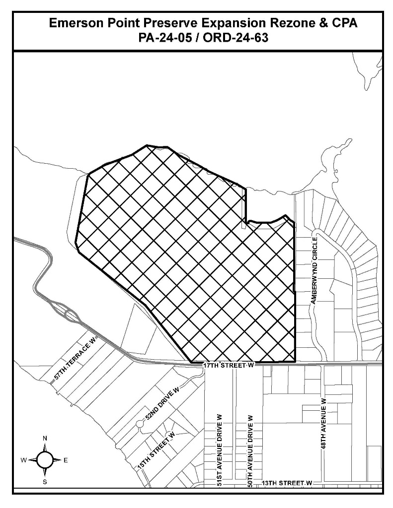
PA-24-05 / Ordinance No. 24-63 Emerson Point Preserve Expansion (County Owned Property) County-Initiated Large Scale Comprehensive Plan Map Amendment PLN2404-0095
THIS ITEM IS SCHEDULED TO BE CONTINUED TO NO DATE AND READVERTISED AT A LATER DATE.
An Ordinance of the Board of County Commissioners of Manatee County, Florida, regarding Comprehensive Planning, amending Manatee County Ordinance No. 89-01, as amended (The Manatee County Comprehensive Plan); providing a purpose and intent; providing findings; providing for a County-Initiated Large-Scale Map Amendment to the Future Land Use Map of the Future Land Use Element on approximately 92.548± acres of specific real property generally located at 5200 17th Street West and being adjacent and East of the existing Emerson Point Preserve (Manatee County) from RES-1 (Residential–1) To the CON (Conservation) Future Land Use Classification; providing for severability and providing an effective date.

Interested parties may appear and be heard at the meeting with respect to the proposed Ordinance, subject to proper rules of conduct. The hearing may be continued from time to time to a date and time certain. The Public may also provide written comments for the Board of County Commissioners to consider.
Rules of Procedure for this public hearing are in effect pursuant to Resolution R-20-065. Copies of this Resolution may be obtained from the Development Services Department (see address below).
Please Send Comments To: Manatee County Development Services Department
Attn: Agenda Coordinator
1112 Manatee Ave. West, 4th Floor
Bradenton, FL 34206
All written comments will be entered into the record.
For More Information: Copies of the proposed amendments will be available for review and copying at cost approximately seven (7) days prior to the public hearing. Information may also be obtained by calling 748-4501, Ext. 6878, between 8:00 AM and 5:00 PM.
Americans with Disabilities: The Board of County Commissioners does not discriminate upon the basis of any individual's disability. Manatee County is committed to providing full access to facilities, programs, and services to all, as well as supporting the employment of qualified individuals with disabilities in its workforce in accordance with federal and state laws and regulations, including the Americans with Disabilities Acts of 1990 (ADA) and as amended (“ADAA”), and 503 and 504 of the Rehabilitation Act of 1973. Anyone requiring reasonable accommodation for this meeting as provided for in the Americans with Disabilities Act (ADA), or assistance with accessing any of these documents, should contact Carmine Demilio, ADA Compliance Coordinator, at (941)792-4501 ext. 6016 or [email protected], as least 3 business days prior to the scheduled meeting. If you are deaf/hard of hearing and require the services of an interpreter, please contact the Florida Relay Service at 711.
According to Section 286.0105, Florida Statutes, if a person decides to appeal any decision made with respect to any matters considered at such meetings or hearings, he/she will need a record of the proceedings, and for such purpose, he/she may need to ensure that a verbatim record of the proceedings is made, which record would include any testimony or evidence upon which the appeal is to be based.
SAID HEARING MAY BE CONTINUED FROM TIME TO TIME PENDING ADJOURNMENTS.
MANATEE COUNTY BOARD OF COUNTY COMMISSIONERS
Manatee County Development Services Department
Manatee County, Florida
Date Published: October 3, 2024
Notice of Land Development Code Amendment Change
October 17, 2024
NOTICE OF LAND DEVELOPMENT CODE CHANGE
NOTICE OF PUBLIC HEARING
NOTICE IS HEREBY GIVEN, pursuant to Section 125.66 of Florida Statutes, that the Board of County Commissioners of Manatee County, Florida, will conduct a public hearing at the Manatee County Government Administration Building, 1112 Manatee Avenue West, 1st Floor, Patricia M. Glass Chambers, Bradenton Florida, during its regular meeting of October 17, 2024, at 9:00 a.m., or soon thereafter to consider, act upon, enact, or reject the following Ordinances.
The Board of County Commissioners of Manatee County, Florida proposes to adopt the following ordinance:
LDCT-24-03 / Ordinance 24-64 County-Initiated Land Development Code Text Amendment Chapter 7 General Clean-Up PLN2404-0105
An Ordinance of the Board of County Commissioners Manatee County, Florida, amending the Manatee County Land Development Code; providing for purpose and intent; providing findings; Chapter 7, Environmental and Cultural Resource Protection, Section 701, Landscaping And Screening Standards, Updating References, Addressing Scrivener’s Errors, and providing clarification on standards throughout; revising Figure 7-2: Roadway Options per 100 Feet, Reflecting Corrected Terminology For Typical Roadway Buffers and Clarifying the Buffer Width Standard; Section 701.7., Redevelopment Standards, providing administrative authority for modifications to Landscaping/Screening standards under limited circumstances; Section 701.8., Specifications, providing clarification in the placement of Fences/Walls Within Landscape Buffers and to the Management of Nuisance, Exotic Plant Species; Sections 701.8, 701.9, 701.10, and 701.12, providing for “Designee” approval; Section 701.13., Certification Required, Providing Clarity On The Issuance Of Certificates Of Occupancy; providing for other amendments as may be necessary for internal consistency; providing for codification; providing for applicability; providing for severability; and providing an effective date.

Interested parties may appear and be heard at the meeting with respect to the proposed Ordinance. The public hearing may be continued from time to time to a date and time certain or to no date certain and re-advertised. The Public may also provide written comments for the Board of County Commissioners to consider.
Pursuant to Section 286.0105 of Florida Statutes, if any person decides to appeal any decision made by the Board with respect to any matter to be considered at the meeting or hearing, they will need a record of the proceedings and for such purpose, they may need to ensure that a verbatim record of the proceedings is made, which record would include any testimony or evidence upon which the appeal is to be based.
The proposed Ordinances are available for public inspection at the Manatee County Development Services Department, 1112 Manatee Avenue West, Suite 400, Bradenton, Florida, during regular business hours. A reasonable charge may be made for the provision of copies.
Rules of procedure for this public hearing are in effect pursuant to Resolution 22-051. A copy of this Resolution is available for review or purchase from the Development Services Department (see address below).
Please Send Comments To: Manatee County Development Services Department
Attn: Agenda Coordinator
1112 Manatee Ave. West 4th Floor
Bradenton, FL 34205
All written comments will be entered into the record.
For More Information: Copies of the proposed amendment will be available for review and copying at cost approximately ten (10) days prior to the public hearing. Information may also be obtained by calling 748-4501 x 6878, between 8:00 AM - 5:00 PM; email to: [email protected].
Business Impact Estimate: An estimate of the direct economic impact of the proposed ordinance on private, for-profit businesses in the county is $0 to include: Direct Compliance Costs - $0, No new charges or fees associated with Ordinance change, County’s Regulatory Costs - $0, Number of Business Likely to be impacted - 0
Americans With Disabilities: The Board of County Commissioners does not discriminate upon the basis of any individual's disability. Manatee County is committed to providing full access to facilities, programs, and services to all, as well as supporting the employment of qualified individuals with disabilities in its workforce in accordance with federal and state laws and regulations, including the Americans with Disabilities Acts of 1990 (ADA) and as amended (“ADAA”), and 503 and 504 of the Rehabilitation Act of 1973. Anyone requiring reasonable accommodation for this meeting as provided for in the Americans with Disabilities Act (ADA), or assistance with accessing any of these documents, should contact Carmine DeMilio, ADA Compliance Coordinator, at (941)792-4501 ext. 6016 or [email protected], as least 3 business days prior to the scheduled meeting. If you are deaf/hard of hearing and require the services of an interpreter, please contact the Florida Relay Service at 711.
According to Section 286.0105, Florida Statutes, if a person decides to appeal any decision made with respect to any matters considered at such meetings or hearings, he/she will need a record of the proceedings, and for such purpose, he/she may need to ensure that a verbatim record of the proceedings is made, which record would include any testimony or evidence upon which the appeal is to be based.
SAID HEARING MAY BE CONTINUED FROM TIME TO TIME PENDING ADJOURNMENTS.
MANATEE COUNTY BOARD OF COUNTY COMMISSIONERS
Manatee County Development Services Department
Manatee County, Florida
Date Published: October 4, 2024
Notice of Comprehensive Plan Amendment Changes - Adoption
October 17, 2024
NOTICE OF LAND USE CHANGE
Official Actions Will Affect and Regulate Use of Real Property in Unincorporated Manatee County – Notice to Real Property Owners and General Public.
The Manatee County Board of County Commissioners will hold a public hearing to consider the adoption of the following amendments to the Manatee County Comprehensive Plan. The amendments pertain to the unincorporated area of Manatee County. At the conclusion of the public hearing the Board of County Commissioners shall determine whether to adopt, adopt with modifications or not adopt the amendments to the Manatee County Comprehensive Plan.
Date: October 17, 2024
Time: 9:00 a.m., or soon thereafter as same may be heard
Place: Manatee County Government Administrative Center
1112 Manatee Ave. West; Patricia M. Glass Chambers (1st Floor)
Additional amendments to the following may be necessary to implement these changes and ensure internal consistency.
PA-24-06 / Ordinance No. 24-70 Public/Semi-Public (P/SP) General Clean-Up County-Initiated Large-Scale Comprehensive Plan Map Amendment PLN2405-0100
An Ordinance of the Board of County Commissioners of Manatee County, Florida, regarding Comprehensive Planning, amending Manatee County Ordinance No. 89-01, as amended (the Manatee County Comprehensive Plan); providing a purpose and intent; providing findings; providing for a County-Initiated Large-Scale Map Amendment to the Future Land Use Map of the Future Land Use Element on approximately 439.65± acres of specific real property owned by Manatee County and generally located throughout the county from R/OS (Recreation/Open Space), AG/R (Agriculture/Rural), RES-1 (Residential-1), RES-3 (Residential–3), UF-3 (Urban Fringe-3), RES-6 (Residential–6), RES-9 (Residential–9), IL (Industrial Light), ROR (Retail/Office/Residential), MU (Mixed Use), MU-C/AC-1 (Mixed Use – Activity Center Level 1) and MU-C/AC-3 (Mixed Use – Activity Center Level 3) Future Land Use Classifications to the P/SP (1) (Public/Semi-Public (1)) Future Land Use Classification; providing for severability and providing an effective date.
PA-24-06 / Ordinance No. 24-71 Public/Semi-Public (P/SP) General Clean-Up County-Initiated Large-Scale Comprehensive Plan Map Amendment PLN2405-0100
An Ordinance of the Board of County Commissioners of Manatee County, Florida, regarding Comprehensive Planning, amending Manatee County Ordinance No. 89-01, as amended (the Manatee County Comprehensive Plan); providing a purpose and intent; providing findings; providing for a County-Initiated Large-Scale Map Amendment to the Future Land Use Map of the Future Land Use Element on approximately 49.87± acres of specific real property owned by Peace River Electric Cooperative, Inc. Generally located throughout the county from AG/R (Agriculture/Rural), RES-1 (Residential-1), UF-3 (Urban Fringe-3), RES-6 (Residential–6), MU-C/AC-1 (Mixed Use – Activity Center Level 1) and MU-C/AC-3 (Mixed Use – Activity Center Level 3) Future Land Use Classifications to the P/SP (1) (Public/Semi-Public (1)) Future Land Use Classification; providing for severability and providing an effective date.
PA-23-21 / Ordinance 24-36 Penler CPA– Small-Scale Comprehensive Plan Map and Text Amendment PLN2309-0143
Adoption of an Ordinance of the Board of County Commissioners of Manatee County, Florida, regarding Comprehensive Planning, amending Manatee County Ordinance No. 89-01, as amended (The Manatee County Comprehensive Plan); providing a purpose and intent; providing findings; providing for a Privately-Initiated Map and Text Amendment to Element 2 - Future Land Use of the Comprehensive Plan amending the Future Land Use Classification (FLUC) of approximately 20.19± acres of real property, consisting of two adjacent parcels, generally located on the south side of SR 64, approximately 0.3 miles east of 117 Street E and approximately 0.77 miles west of Rye Road, commonly known as 12108 and 12310 SR 64 E, Bradenton (Manatee County), from UF-3 (Urban Fringe – 3 DU/GA) FLUC to the ROR (Retail/ Office/ Residential) FLUC; providing for a specific property development condition in the text of Element 2, Future Land Use Element, Policy 2.14.1.28 / D.5.28 regardless of any established Land Use Equivalency Matrix (LUEM) or Density/Intensity Bonuses, the project shall be a mixed-use development, limited to a maximum number of 300 dwelling units and 50,000 square feet of non-residential uses; providing for severability; and providing an effective date.

Interested parties may appear and be heard at the meeting with respect to the proposed Ordinance, subject to proper rules of conduct. The hearing may be continued from time to time to a date and time certain. The Public may also provide written comments for the Board of County Commissioners to consider.
Rules of Procedure for this public hearing are in effect pursuant to Resolution R-22-051. Copies of this Resolution may be obtained from the Development Services Department (see address below).
Please Send Comments To: Manatee County Development Services Department
Attn: Agenda Coordinator
1112 Manatee Ave. West, 4th Floor
Bradenton, FL 34206
All written comments will be entered into the record.
For More Information: Copies of the proposed amendments will be available for review and copying at cost approximately seven (7) days prior to the public hearing. Information may also be obtained by calling 748-4501, Ext. 6878, between 8:00 AM and 5:00 PM.
Americans with Disabilities: The Board of County Commissioners does not discriminate upon the basis of any individual's disability. Manatee County is committed to providing full access to facilities, programs, and services to all, as well as supporting the employment of qualified individuals with disabilities in its workforce in accordance with federal and state laws and regulations, including the Americans with Disabilities Acts of 1990 (ADA) and as amended (“ADAA”), and 503 and 504 of the Rehabilitation Act of 1973. Anyone requiring reasonable accommodation for this meeting as provided for in the Americans with Disabilities Act (ADA), or assistance with accessing any of these documents, should contact Carmine DeMilio, ADA Compliance Coordinator, at (941)792-4501 ext. 6016 or [email protected], as least 3 business days prior to the scheduled meeting. If you are deaf/hard of hearing and require the services of an interpreter, please contact the Florida Relay Service at 711.
According to Section 286.0105, Florida Statutes, if a person decides to appeal any decision made with respect to any matters considered at such meetings or hearings, he/she will need a record of the proceedings, and for such purpose, he/she may need to ensure that a verbatim record of the proceedings is made, which record would include any testimony or evidence upon which the appeal is to be based.
SAID HEARING MAY BE CONTINUED FROM TIME TO TIME PENDING ADJOURNMENTS.
Public Notices
Interested parties may examine the proposed Ordinances, Resolutions and related documents and may obtain assistance regarding this matter from the Manatee County Development Services Department located at:
1112 Manatee Avenue West
4th Floor
Bradenton, Florida
(941) 748-4501 x6878
[email protected]
All interested parties may appear and be heard at the meeting with respect to the proposed Ordinances. According to Florida Statutes, Section 286.0105, any person desiring to appeal any decision made by the Board of County Commissioners with respect to any matter considered at said Public Hearing will need a record of the proceedings, and for such purposes, he may need to ensure that a verbatim record of the proceedings is made, which includes the testimony and evidence upon which the appeal is to be based.
Rules of procedure for Public Comment and Citizens’ Comments (including time limits) are governed by Resolution R-25-013, Restated Rules of Procedure (adopted 1/28/25).
Americans with Disabilities: The Board of County Commissioners of Manatee County, Florida, does not discriminate on the basis of an individual's disability. Manatee County is committed to providing full access to facilities, programs, and services to all, as well as supporting the employment of qualified individuals with disabilities in its workforce in accordance with federal and state laws and regulations, including the Americans with Disabilities Acts of 1990 (ADA) and as amended ("ADAA"), and 503 and 504 of the Rehabilitation Act of 1973. Anyone requiring reasonable accommodation for this meeting as provided for in the Americans with Disabilities Act (ADA), or assistance with accessing any of these documents, should contact Carmine DeMilio, ADA Compliance Coordinator, at (941) 748-4501, ext. 6016 or [email protected], at least 3 business days prior to the scheduled meeting. If you are deaf/hard of hearing and require the services of an interpreter, please contact the Florida Relay Service at 711.
THESE HEARINGS MAY BE CONTINUED FROM TIME TO TIME PENDING ADJOURNMENTS.