August 17, 2023 - Land Use Meeting [Board of County Commissioners]
Published
December 27, 2024
Notice of Comprehensive Plan Text Amendments Transmittal Hearing
August 17, 2023
NOTICE OF LAND USE CHANGE
Official Actions Will Affect and Regulate Use of Real Property in Unincorporated Manatee County – Notice to Real Property Owners and General Public.
The Manatee County Board of County Commissioners will hold a public hearing to consider the adoption of the following amendments to the Manatee County Comprehensive Plan. The amendments pertain to the unincorporated area of Manatee County. At the conclusion of the public hearing the Board of County Commissioners shall determine whether to transmit, transmit with modifications or not transmit the amendments to the Manatee County Comprehensive Plan.
Date: August 17, 2023
Time: 9:00 a.m., or soon thereafter as same may be heard
Place: Manatee County Government Administrative Center
1112 Manatee Ave. West; Patricia M. Glass Chambers (1st Floor)
Additional amendments to the following may be necessary to implement these changes and ensure internal consistency.
PA-23-06 / Ordinance No. 23-66 Comprehensive Plan Text Amendment Wetlands Protection PLN2302-0091
Transmittal of an Ordinance of the Board of County Commissioners of Manatee County, Florida, regarding comprehensive planning, amending Manatee County Ordinance No. 89-01, as amended (The Manatee County Comprehensive Plan); providing a purpose and intent; providing findings; providing for a text amendment to Comprehensive Plan Element 3 – Conservation, and Element 4 – Coastal Management, to amend the requirement for wetlands mitigation, making Manatee County Impact Mitigation consistent with state standards, and to amend wetland buffers requirements for isolated wetlands making Manatee County wetland buffer requirements for isolated wetlands consistent with state standards; providing for severability and providing an effective date.

Notice of Zoning Changes in unincorporated Manatee County
August 17, 2023
NOTICE IS HEREBY GIVEN that the Board of County Commissioners of Manatee County will conduct a Public Hearing on August 17, 2023, at 9:00 a.m., or as soon thereafter as same may be heard at the Manatee County Government Administration Building, 1st Floor Patricia M. Glass Chambers, 1112 Manatee Avenue West, Bradenton, Florida, to consider and act upon the following matters:
PDMU-22-19(G) – Cone Ranch GDP – William L. Cone, Jr. – (Owner) – PLN2203-0166
An Ordinance of the Board of County Commissioners of Manatee County, Florida, regarding land development, approving a new General Development Plan (Large Project) for a 2,048 residential unit (single-family detached, attached and semi-detached) and 6,550 square foot commercial project; the 1,175.8 acre site is zoned PDMU (Planned Development Mixed Use) and is generally located North of SR 62 and East of US 301 and is commonly known as 14305 Dickey Road, Parrish (Manatee County); repealing ordinances in conflict; subject to stipulations as conditions of approval; setting forth findings; providing a legal description; providing for severability; and providing an effective date.
PDR-05-64(Z)(G)(R2) - Hillwood Expansion Revised General Development Plan with Rezone– Victoria Ellis, George and Susan Ellis (owner) – Sand Branch, LLC (contract purchaser) - PLN2212-0010
An Ordinance of the Board of County Commissioners of Manatee County, Florida, regarding land development; amending the Official Zoning Atlas (Ordinance 15-17, the Manatee County Land Development Code), relating to the zoning within the unincorporated area; together with amending and restating Ordinance PDR-05-64(Z)(G)(R) to add 19.43 acres (expansion parcels); providing for the rezoning of 19.43 acres on the northeast portion of a 97.4-acre site (77.91-acres already zoned PDR) located on the north side of Waterline Road and approximately 2,500 feet west of the westernmost end of the Lake Manatee Reservoir dam structure, in Bradenton (Manatee County) from A (General Agriculture) to the PDR (Planned Development Residential) zoning district; approving a revised General Development Plan for the entire 97.4 acre site for a residential project consisting of 252 residential dwelling units inclusive of the previously approved development of 195 residential dwelling units, subject to amended stipulations as conditions of approval; setting forth findings; providing a legal description; providing for severability; providing a legal description, and providing an effective date.
PDR-22-05(Z)(P) – Linger Lodge Road Rezone and Preliminary Site Plan – White Oak Development LTD (owner) D.R. HORTON, INC. (contract purchaser) – PLN2202-0119
An Ordinance of the Board of County Commissioners of Manatee County, Florida, regarding land development, amending the Official Zoning Atlas (Ordinance 15-17, as amended, the Manatee County Land Development Code), relating to zoning within the unincorporated area; providing for a rezone of approximately 17.8 acres (7.0 acres zoned PDMU and 10.8 acres zoned A-1) of a 34.5 acre project site, generally located at the southeast corner of I-75 and Linger Lodge Road, and commonly known as 8240 Linger Lodge Road, Bradenton (Manatee County), from PDMU/ST/WP-E (Planned Development Mixed Use/Special Treatment/Watershed Protection Evers) and A-1/ST/WP-E (Agricultural Suburban/Special Treatment/Watershed Protection Evers) to PDR/ST/WP-E (Planned Development Residential/Special Treatment/Watershed Protection Evers) zoning district; approving a Preliminary Site Plan for a 99 single-family attached residential unit development; subject to stipulations as conditions of approval; setting forth findings; providing a legal description; providing for severability; and providing an effective date.
PDR-22-21(Z)(G) – Firethorn Planned Development – Goodson Family Limited Liability Limited Partnership (Owner) – Taylor Morrison of Florida, Inc (Contract Purchaser) – PLN2205-0149
An Ordinance of the Board of County Commissioners of Manatee County, Florida, regarding land development, amending the Official Zoning Atlas (Ordinance 15-17, as amended, the Manatee County Land Development Code), relating to zoning within the unincorporated area; providing for a rezone of approximately 268 acres within the north and southeast portions of a 549.2-acre site from A (General Agriculture – approximately 240 acres) and PDMU (Planned Development Mixed Use – approximately 28 acres) to the PDR (Planned Development Residential – approximately 280 acres already zoned PDR) zoning district; approval of a General Development Plan (Large Project) for 1,540 residential units (single-family detached, single-family attached, single-family semi-detached and multifamily units); generally located at the northwest corner of Buckeye Road and U.S. Highway 301, west of Gettis Lee Road, Parrish (Manatee County); subject to stipulations as conditions of approval; setting forth findings; providing a legal description; providing for severability; repealing ordinance PDMU/PDR-06-85(Z)(P) and providing an effective date.
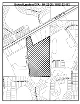
PDR-23-02(Z)(P) – Oxford Landing PDR PSP/Ownbey-Beckett-Oxford-Anderson – Wayne Lamar Owenby and Frieda Mae Owenby, Geraleen M and Robert J Anderson and Geraleen M Revoc Living Trust (Owner) - Nick Gluckman (Contract Purchaser)- PLN2208-0122
An Ordinance of the Board of County Commissioners of Manatee County, Florida, regarding land development, amending the Official Zoning Atlas (Ordinance 15-17, as amended, the Manatee County Land Development Code), relating to zoning within the unincorporated area; providing for the rezoning of an approximately ±25.19 acre site, generally located one mile east of Harrison Ranch Boulevard, at the intersection of Oxford Road and US 301 North, commonly known as 11601 US 301 North, 5110 Oxford Road, and 4920 Oxford Road, Parrish, (Manatee County); from A-1 (Agriculture Suburban) (±2.2 acres) and A (±22.9 acres) (General Agriculture) to the PDR (Planned Development Residential) zoning district; approving a Preliminary Site Plan for 194 muti-family residential units; subject to stipulations as conditions of approval; setting forth findings; providing a legal description; providing for severability; and providing an effective date.
Z-23-07 – O’Reilly Auto Parts Parrish – William K. and Katherine L. Marsh (Owner) – O’Reilly’s Auto Parts – PLN2301-0012
An Ordinance of the Board of County Commissioners of Manatee County, Florida, regarding land development, amending the Official Zoning Atlas (Ordinance 15-17, as amended, the Manatee County Land Development Code), relating to zoning within the unincorporated area; providing for a rezone of approximately 1.61 acres generally located 300 feet southeast of U.S. 301 N on the north side of Fort Hamer Road and commonly known as 5851 Bella Road, Parrish (Manatee County) from A-1 (Agricultural Suburban) to the NC-M (Neighborhood Commercial – Medium) zoning district; setting forth findings; providing a legal description; providing for severability, and providing an effective date.
Notice of Comprehensive Plan Amendment Adoption Hearing
August 17, 2023
NOTICE OF LAND USE CHANGE
Official Actions Will Affect and Regulate Use of Real Property in Unincorporated Manatee County – Notice to Real Property Owners and General Public.
The Manatee County Board of County Commissioners will hold a public hearing to consider the adoption of the following amendments to the Manatee County Comprehensive Plan. The amendments pertain to the unincorporated area of Manatee County. At the conclusion of the public hearing the Board of County Commissioners shall determine whether to adopt, adopt with modifications or not adopt the amendments to the Manatee County Comprehensive Plan.
Date: August 17, 2023
Time: 9:00 a.m., or soon thereafter as same may be heard
Place: Manatee County Government Administrative Center
1112 Manatee Ave. West; Patricia M. Glass Chambers (1st Floor)
Additional amendments to the following may be necessary to implement these changes and ensure internal consistency.
PA-22-20/ORDINANCE 23-70 (fka 22-112) Oxford Landing – SMALL SCALE COMPREHENSIVE PLAN MAP AND TEXT AMENDMENT (PLN2208-0123)
An Ordinance of the Board of County Commissioners of Manatee County, Florida, regarding Comprehensive Planning, amending Manatee County Ordinance No. 89-01, as amended (The Manatee County Comprehensive Plan); providing a purpose and intent; providing findings; providing for a Privately-Initiated Map and Text Amendment to Element 2 - Future Land Use of the Comprehensive Plan amending the Future Land Use Classification (FLUC) of approximately 25.19± acres of real property generally located on the south side of US 301 North, at the intersection of Oxford Road and US 301 North, commonly known as 11601 US 301 North; 5110 Oxford Road and 4920 Oxford Road, Parrish, (Manatee County) from the UF-3 (Urban Fringe-3 Dwelling Units/Acre) FLUC to the RES-9 (Residential – 9 Dwelling Units/Acre) FLUC; adding a specific property development condition in the text of Element 2 – Future Land Use of the Comprehensive Plan limiting the use of the approximately 25.19± acres of real property to residential use only; providing for severability; and providing an effective date.

Public Notices
Interested parties may examine the proposed Ordinances, Resolutions and related documents and may obtain assistance regarding this matter from the Manatee County Development Services Department located at:
1112 Manatee Avenue West
4th Floor
Bradenton, Florida
(941) 748-4501 x6878
[email protected]
All interested parties may appear and be heard at the meeting with respect to the proposed Ordinances. According to Florida Statutes, Section 286.0105, any person desiring to appeal any decision made by the Board of County Commissioners with respect to any matter considered at said Public Hearing will need a record of the proceedings, and for such purposes, he may need to ensure that a verbatim record of the proceedings is made, which includes the testimony and evidence upon which the appeal is to be based.
Rules of procedure for Public Comment and Citizens’ Comments (including time limits) are governed by Resolution R-25-013, Restated Rules of Procedure (adopted 1/28/25).
Americans with Disabilities: The Board of County Commissioners of Manatee County, Florida, does not discriminate on the basis of an individual's disability. Manatee County is committed to providing full access to facilities, programs, and services to all, as well as supporting the employment of qualified individuals with disabilities in its workforce in accordance with federal and state laws and regulations, including the Americans with Disabilities Acts of 1990 (ADA) and as amended ("ADAA"), and 503 and 504 of the Rehabilitation Act of 1973. Anyone requiring reasonable accommodation for this meeting as provided for in the Americans with Disabilities Act (ADA), or assistance with accessing any of these documents, should contact Carmine DeMilio, ADA Compliance Coordinator, at (941) 748-4501, ext. 6016 or [email protected], at least 3 business days prior to the scheduled meeting. If you are deaf/hard of hearing and require the services of an interpreter, please contact the Florida Relay Service at 711.
THESE HEARINGS MAY BE CONTINUED FROM TIME TO TIME PENDING ADJOURNMENTS.